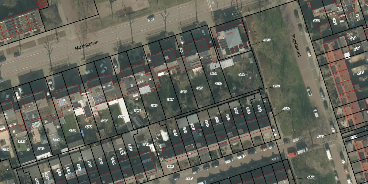
Perceel: UDN00-B-3368
KadastraleKaart.com kan meer dan je denktOntdek meer ›
Filter op bestemming 50+ datasets Eigendomsdata in één klik Percelen CRM
389 m2 - 102 m
Eigenaar opvragen
UDN00-B-3368 (Uden)
- 5402 CS
t0wdgLkyH1f5UTSsq Xo b4nl5Upgrade naar KadastraleKaart Pro
Bekijk op Street View
Download DWG/DXF/Excel
qheq 12EWUpgrade naar KadastraleKaart Pro
uiT6t3Z9PBgrhMUpgrade naar KadastraleKaart Pro
dy4mfUlesz2XHUpgrade naar KadastraleKaart Pro
DqJF9S x7Upgrade naar KadastraleKaart Pro
yUdJHO0HLTHDMRyjVDhbFHzUpgrade naar KadastraleKaart Pro
LvjQmZSWkUpgrade naar KadastraleKaart Pro
1TtX2l t M4riYGrAhAUpgrade naar KadastraleKaart Pro
617J5us4VIr fAonUpgrade naar KadastraleKaart Pro
5mLAPUfS94v27mOpUpgrade naar KadastraleKaart Pro
J00ZRHFnwB8PflpNUpgrade naar KadastraleKaart Pro
11/11/2011

Percelen
Gebruik de zoekbalk of klik op een perceel om informatie over het perceel te bekijken.