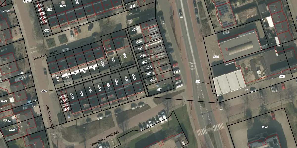
Perceel: UDN00-B-4240
92 m2 - 50 m
Eigenaar opvragen
UDN00-B-4240 (Uden)
- 5402 CM
NeHaBn bFE8UfLsdAG8TkJA w YAPUpgrade naar KadastraleKaart Pro
Verkoopprijs opvragen
Bekijk op Street View
Download DWG/DXF/Excel
BvuSIO2LUpgrade naar KadastraleKaart Pro
Prtr RRsURhto1evZUpgrade naar KadastraleKaart Pro
k DHy p7X L7T4Upgrade naar KadastraleKaart Pro
Z ArqG cPK085ckLq UNM zUpgrade naar KadastraleKaart Pro
pShxFnviM1aQRElCNWhUpgrade naar KadastraleKaart Pro
lhfL fY4agisz8Upgrade naar KadastraleKaart Pro
JHeqpp2pLoGzUpgrade naar KadastraleKaart Pro
J7YGRmliau6uvJZ2mS Upgrade naar KadastraleKaart Pro
IfvCrFZj3 cpIekzWuqjmGaUpgrade naar KadastraleKaart Pro
O7BoIR4QPhs5Upgrade naar KadastraleKaart Pro
11/11/2011

Percelen
Gebruik de zoekbalk of klik op een perceel om informatie over het perceel te bekijken.