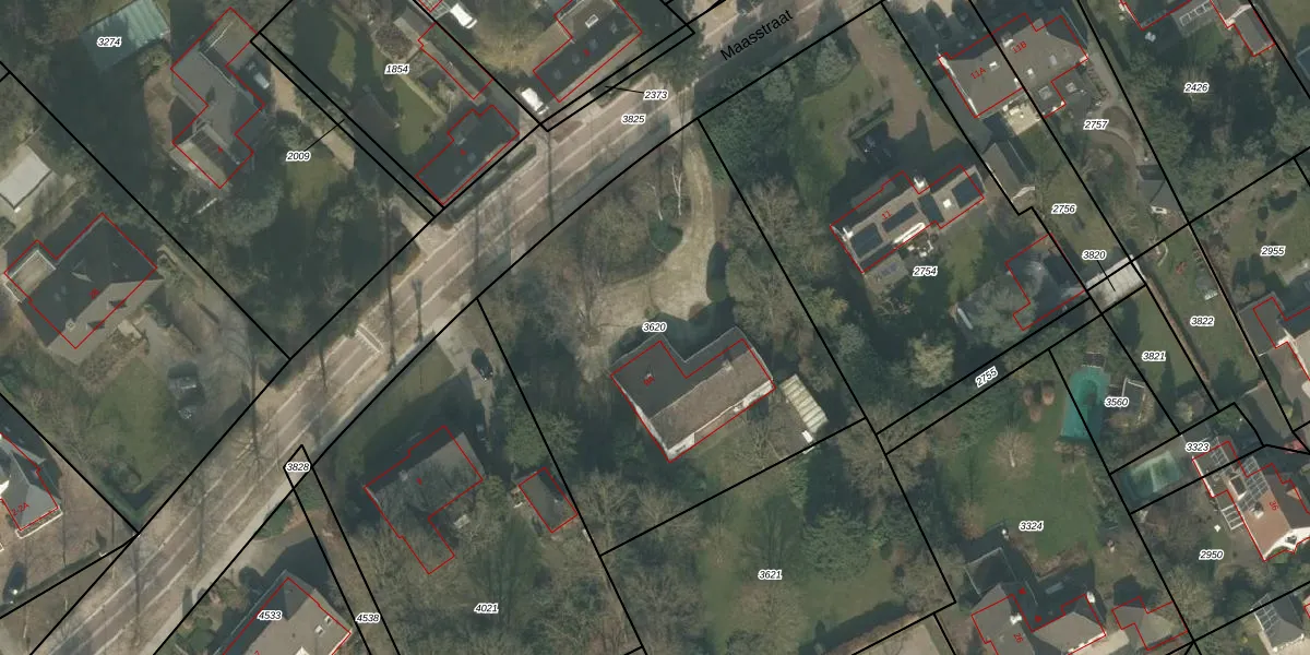
Perceel: UDN00-I-3620
KadastraleKaart.com kan meer dan je denktOntdek meer ›
Filter op bestemming 50+ datasets Eigendomsdata in één klik Percelen CRM
2.147 m2 - 185 m
Eigenaar opvragen
UDN00-I-3620 (Uden)
- 5404 ND
Uglbv6Ca1biCXyg RgzFZiDZhUO014kUpgrade naar KadastraleKaart Pro
Bekijk op Street View
Download DWG/DXF/Excel
O LhPv2pFC1WpMUpgrade naar KadastraleKaart Pro
klAz4 bGOZbUpgrade naar KadastraleKaart Pro
rdvN Oxp7gb5CSw9iBBIUpgrade naar KadastraleKaart Pro
pcCDmejkyrem1TUpgrade naar KadastraleKaart Pro
pgh2sMmxm4zNIF DUpgrade naar KadastraleKaart Pro
cpOO PDwEYFgwpv0Upgrade naar KadastraleKaart Pro
eawAumAfILmp rxF9Upgrade naar KadastraleKaart Pro
gsjAmRegaAsRAdYGRjxUpgrade naar KadastraleKaart Pro
mT5dBoKmHPnmEe4CtrZVNUpgrade naar KadastraleKaart Pro
AwjXPfe Upgrade naar KadastraleKaart Pro
12/06/2009

Percelen
Gebruik de zoekbalk of klik op een perceel om informatie over het perceel te bekijken.