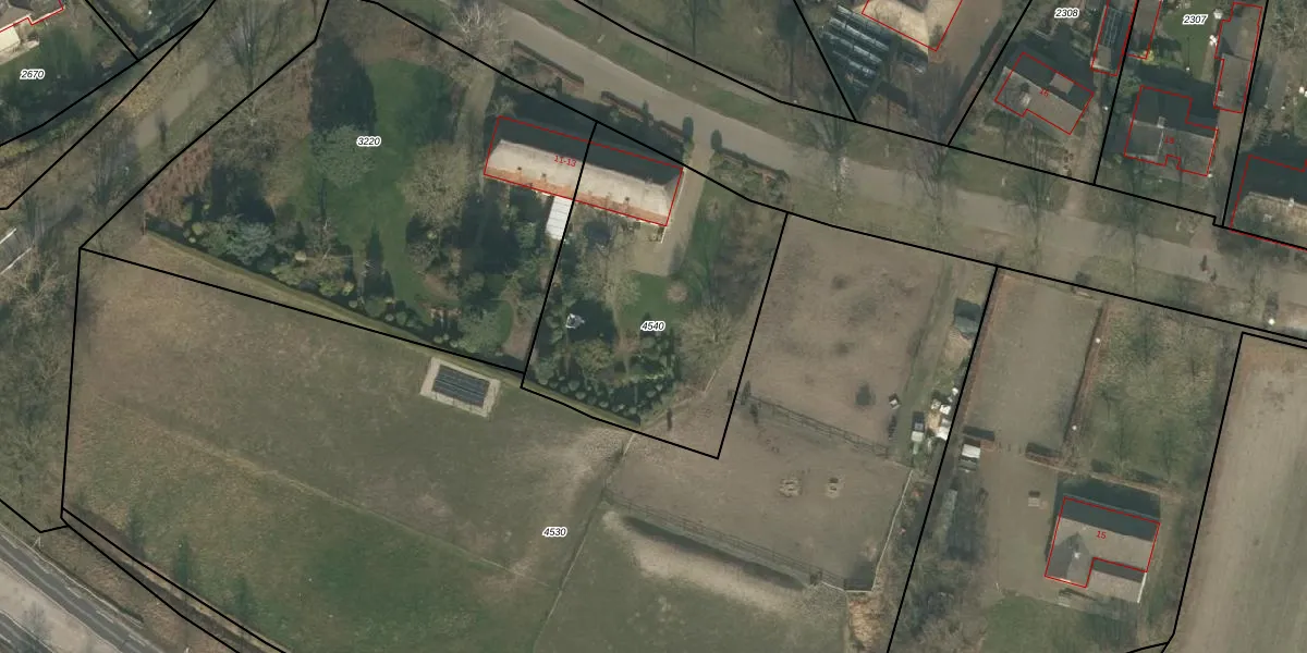
Perceel: UDN00-I-4540
1.294 m2 - 146 m
Eigenaar opvragen
UDN00-I-4540 (Uden)
- 5404 PR
kdRVvto2vW4PStA ayuBUpgrade naar KadastraleKaart Pro
Verkoopprijs opvragen
Bekijk op Street View
Download DWG/DXF/Excel
vEzu oh52hHxUpgrade naar KadastraleKaart Pro
cR 60 xySCxd7xhPRK GJQSUpgrade naar KadastraleKaart Pro
M t cOnANUpgrade naar KadastraleKaart Pro
uFUFu0DpUo8 jh P2Z HqUpgrade naar KadastraleKaart Pro
4jtVUlZmnuVcIKIxDGlUpgrade naar KadastraleKaart Pro
iTiZTwnOk8u1y Y1wVJxUpgrade naar KadastraleKaart Pro
r0 Oiz7iW5QUpgrade naar KadastraleKaart Pro
MyPCLo WWA Upgrade naar KadastraleKaart Pro
pwZ8p zYml0Upgrade naar KadastraleKaart Pro
KSAtz8yVef5IN AVq IM 4Upgrade naar KadastraleKaart Pro
16/12/2025

Percelen
Gebruik de zoekbalk of klik op een perceel om informatie over het perceel te bekijken.