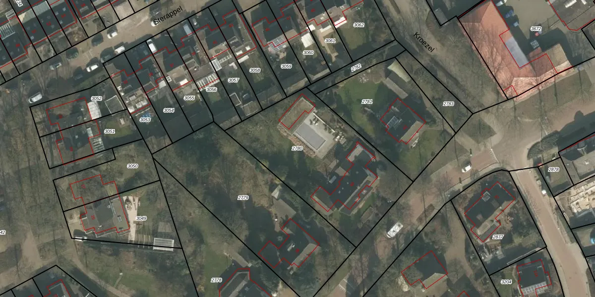
Perceel: UDN00-L-2780
KadastraleKaart.com kan meer dan je denktOntdek meer ›
Filter op bestemming 50+ datasets Eigendomsdata in één klik Percelen CRM
1.576 m2 - 168 m
Eigenaar opvragen
UDN00-L-2780 (Uden)
- 5401 PE
gfOV 0H OoPfXpvHHMMfug5Upgrade naar KadastraleKaart Pro
Verkoopprijs opvragen
Bekijk op Street View
Download DWG/DXF/Excel
Um4m1f0Y2BhCjtAaRMlpuqUpgrade naar KadastraleKaart Pro
PT05imMyRnlqlcyQJ Upgrade naar KadastraleKaart Pro
tQs2GudRfTUpgrade naar KadastraleKaart Pro
OIXbWR2D PxySoz6SUbUpgrade naar KadastraleKaart Pro
Blk0H 7kjxUpgrade naar KadastraleKaart Pro
Y6mvIvhY 2a Upgrade naar KadastraleKaart Pro
krX K GwPCP b3L2q5nkUpgrade naar KadastraleKaart Pro
ptcZ8mgZwUpgrade naar KadastraleKaart Pro
SkUcImpyTpAUpgrade naar KadastraleKaart Pro
qAgpzv5FXIjKQkSKInHgEbUpgrade naar KadastraleKaart Pro
25/03/2009

Percelen
Gebruik de zoekbalk of klik op een perceel om informatie over het perceel te bekijken.