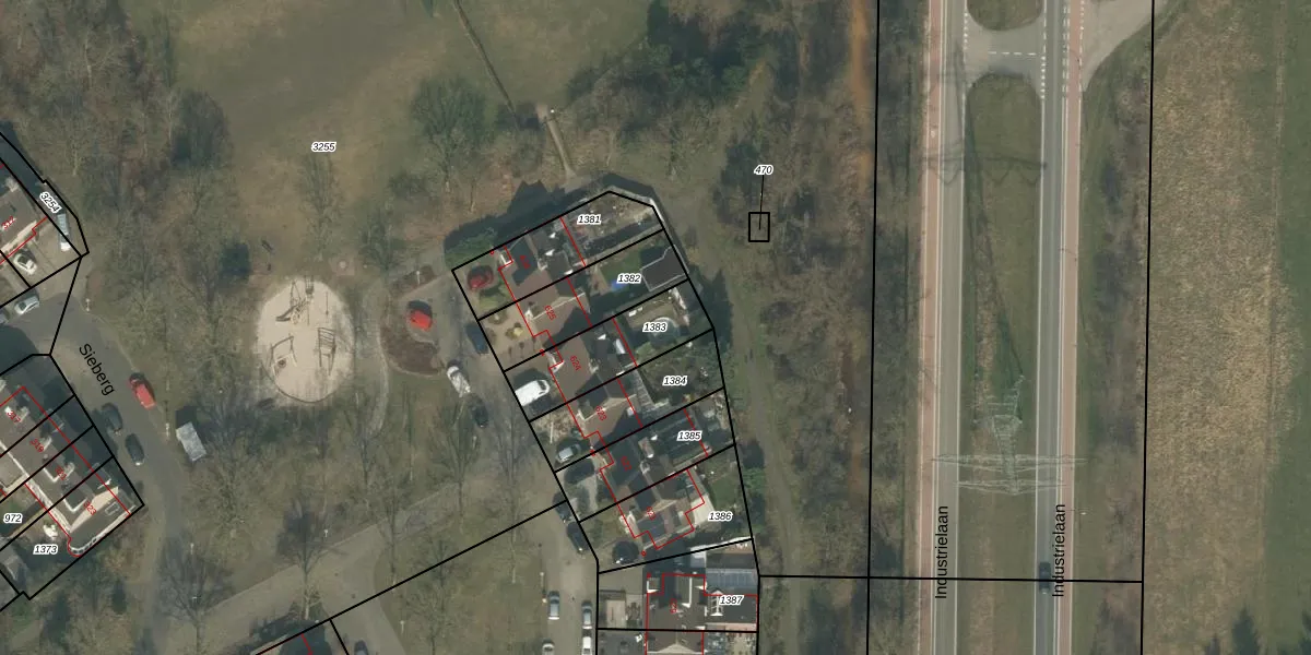
Perceel: UDN00-N-1383
273 m2 - 80 m
Eigenaar opvragen
UDN00-N-1383 (Uden)
- 5403 VK
m2jykArugv8ZD xUcOGUdM4xIOz N Upgrade naar KadastraleKaart Pro
Verkoopprijs opvragen
Bekijk op Street View
Download DWG/DXF/Excel
F8MgP4aVHXoPUpgrade naar KadastraleKaart Pro
luYH8chwZUpgrade naar KadastraleKaart Pro
QCwlD9mgj k4d3lC3mGH eUpgrade naar KadastraleKaart Pro
Gj1 s1oc ZAHQxUpgrade naar KadastraleKaart Pro
5rlkm SWeCrIDzVj904umUpgrade naar KadastraleKaart Pro
E0tgnjajUpgrade naar KadastraleKaart Pro
K6B4210OUpgrade naar KadastraleKaart Pro
SYhb7pcL i1aeh HB2jUpgrade naar KadastraleKaart Pro
4 LYTJSWN2F nR0R6Upgrade naar KadastraleKaart Pro
nN10x0G4xF8gyc Upgrade naar KadastraleKaart Pro
02/11/2010

Percelen
Gebruik de zoekbalk of klik op een perceel om informatie over het perceel te bekijken.