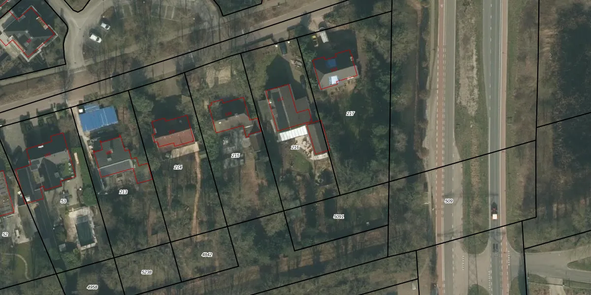
Perceel: UDN00-N-216
KadastraleKaart.com kan meer dan je denktOntdek meer ›
Filter op bestemming 50+ datasets Eigendomsdata in één klik Percelen CRM
1.100 m2 - 150 m
Eigenaar opvragen
UDN00-N-216 (Uden)
- 5403 AA
FD w64cnT9xxNH oCDx8VVjXeptaUpgrade naar KadastraleKaart Pro
Verkoopprijs opvragen
Bekijk op Street View
Download DWG/DXF/Excel
oUR hcmf8 wRmvsTk Upgrade naar KadastraleKaart Pro
DJ dC MpleBZJ Upgrade naar KadastraleKaart Pro
txn0vhukVm Upgrade naar KadastraleKaart Pro
oYWvtjFFxVUpgrade naar KadastraleKaart Pro
QkTizRlX Upgrade naar KadastraleKaart Pro
WHr8RxV8PrpPSCZvzC oUpgrade naar KadastraleKaart Pro
Zqx5ei 9DUpgrade naar KadastraleKaart Pro
X9DP8 l7r4hZM2tQh2yNGHlUpgrade naar KadastraleKaart Pro
zZwH5t3m8jEGUpgrade naar KadastraleKaart Pro
4SpxQ kot37hUpgrade naar KadastraleKaart Pro
03/06/2009

Percelen
Gebruik de zoekbalk of klik op een perceel om informatie over het perceel te bekijken.