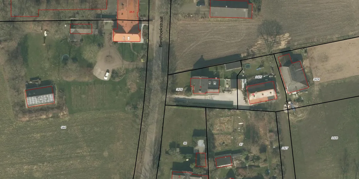
Perceel: UDN00-O-1426
KadastraleKaart.com kan meer dan je denktOntdek meer ›
Filter op bestemming 50+ datasets Eigendomsdata in één klik Percelen CRM
890 m2 - 127 m
Eigenaar opvragen
UDN00-O-1426 (Uden)
- 5408 PT
GrRPnD0L7j4lva3eMe7HX Ex2q2PpeUpgrade naar KadastraleKaart Pro
Bekijk op Street View
Download DWG/DXF/Excel
ZDmgw b MGpPflqske Upgrade naar KadastraleKaart Pro
CjdhlWgaOXcDppUosyUpgrade naar KadastraleKaart Pro
9K E hk HwXcguRA1uTDf Upgrade naar KadastraleKaart Pro
I fxjB9A 79mZ Z CUpgrade naar KadastraleKaart Pro
uz5K7DlVxx2QlEoY JUpgrade naar KadastraleKaart Pro
v0cmi ONUpgrade naar KadastraleKaart Pro
g JRZSkw8vUpgrade naar KadastraleKaart Pro
KcYeibupMTlL29HRYd0hrXUpgrade naar KadastraleKaart Pro
oAatFR2aXmN8Upgrade naar KadastraleKaart Pro
BXB74x3oeBse faj4Upgrade naar KadastraleKaart Pro
20/11/2025

Percelen
Gebruik de zoekbalk of klik op een perceel om informatie over het perceel te bekijken.