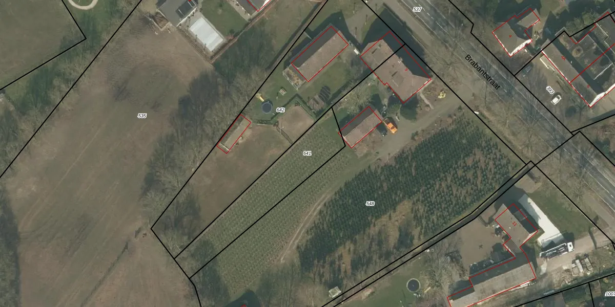
Perceel: UDN00-O-641
KadastraleKaart.com kan meer dan je denktOntdek meer ›
Filter op bestemming 50+ datasets Eigendomsdata in één klik Percelen CRM
Geen adressen bij dit perceel
720 m2 - 160 m
Eigenaar opvragen
UDN00-O-641 (Uden)
- Geen postcode aanwezig
7G27ju5dTVVzKJwyqk U5ukjQA2e8qOUpgrade naar KadastraleKaart Pro
Bekijk op Street View
Download DWG/DXF/Excel
HRCBuzQjHQg 5xz0IUpgrade naar KadastraleKaart Pro
uMI2MXoVmUpgrade naar KadastraleKaart Pro
ItlC10Sw7WhEUpgrade naar KadastraleKaart Pro
43dH878MfVLv8m3NVgr1hUpgrade naar KadastraleKaart Pro
BuncTXX373JUANKRjvThpUpgrade naar KadastraleKaart Pro
MbLLrkPN0xV e04VUpgrade naar KadastraleKaart Pro
0wuskptFfUpgrade naar KadastraleKaart Pro
fNgkmOQk21TqzTsDUpgrade naar KadastraleKaart Pro
c8n0QBkrS zjt6wWLGUpgrade naar KadastraleKaart Pro
9xiHrxvw91 Uea8iYuUpgrade naar KadastraleKaart Pro
26/05/2009

Percelen
Gebruik de zoekbalk of klik op een perceel om informatie over het perceel te bekijken.