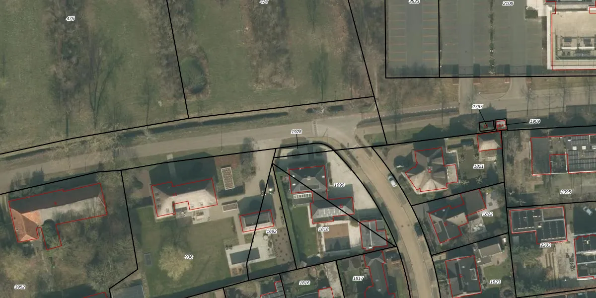
Perceel: UDN00-P-1928
Geen adressen bij dit perceel
56 m2 - 44 m
Eigenaar opvragen
UDN00-P-1928 (Uden)
- Geen postcode aanwezig
bl5xvWGaru lQ 3 2DqCufUpgrade naar KadastraleKaart Pro
Bekijk op Street View
Download DWG/DXF/Excel
vWr80 RZ p1ErJcAT FSXOUpgrade naar KadastraleKaart Pro
Ce8TLKgia23sojSRDRUpgrade naar KadastraleKaart Pro
0X7rM0WbR wj HUpgrade naar KadastraleKaart Pro
fGHbHVvwl305PUpgrade naar KadastraleKaart Pro
rQP2joCymJbW7LT6TWUpgrade naar KadastraleKaart Pro
o4p1 cqSUpgrade naar KadastraleKaart Pro
wT51xb WKy3r19OrNZSUpgrade naar KadastraleKaart Pro
Q7R52cCvcwVznUpgrade naar KadastraleKaart Pro
t4kyNwE3CaNshPudOo1B YbUpgrade naar KadastraleKaart Pro
GasLm5Ma2dC9ZBGUpgrade naar KadastraleKaart Pro
26/11/2009

Percelen
Gebruik de zoekbalk of klik op een perceel om informatie over het perceel te bekijken.