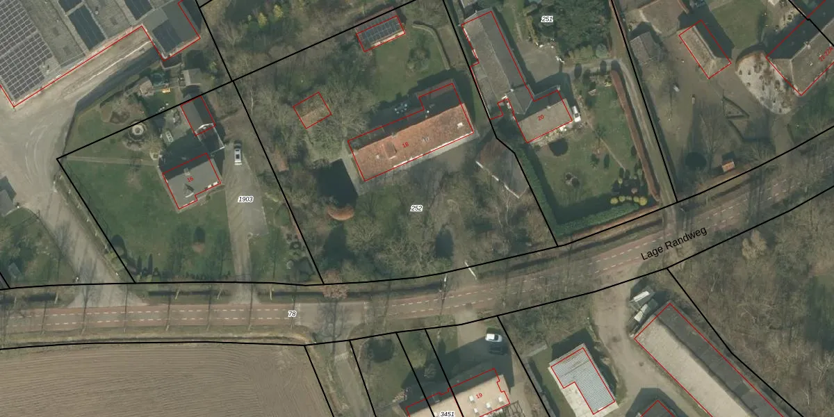
Perceel: UDN00-P-252
KadastraleKaart.com kan meer dan je denktOntdek meer ›
Filter op bestemming 50+ datasets Eigendomsdata in één klik Percelen CRM
3.350 m2 - 233 m
Eigenaar opvragen
UDN00-P-252 (Uden)
- 5406 NN
LTTPNOzLbGCmVT0HUpgrade naar KadastraleKaart Pro
Verkoopprijs opvragen
Bekijk op Street View
Download DWG/DXF/Excel
pNEUiRHj7Upgrade naar KadastraleKaart Pro
fm q Mq1ST3HUpgrade naar KadastraleKaart Pro
WgJDPJrX01R0xR Upgrade naar KadastraleKaart Pro
OMAG8cyoKIo23Upgrade naar KadastraleKaart Pro
NTZIKycWU 4Upgrade naar KadastraleKaart Pro
8bpmZHgS8Upgrade naar KadastraleKaart Pro
UNxZwYyEa8Upgrade naar KadastraleKaart Pro
XReY7uS29TZLaeirUpgrade naar KadastraleKaart Pro
nr0ouck d1Upgrade naar KadastraleKaart Pro
oa4Oxi5MS TgzZeD6XMTP Upgrade naar KadastraleKaart Pro
29/06/2010

Percelen
Gebruik de zoekbalk of klik op een perceel om informatie over het perceel te bekijken.