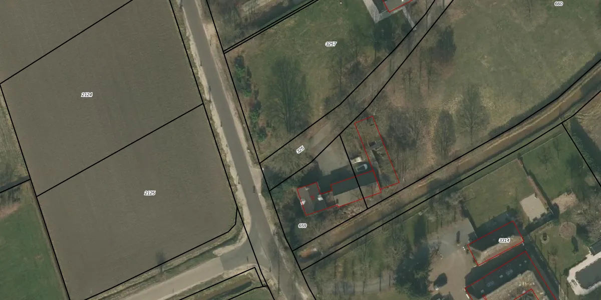
Perceel: UDN00-P-325
KadastraleKaart.com kan meer dan je denktOntdek meer ›
Filter op bestemming 50+ datasets Eigendomsdata in één klik Percelen CRM
Geen adressen bij dit perceel
590 m2 - 189 m
Eigenaar opvragen
UDN00-P-325 (Uden)
- Geen postcode aanwezig
DZEILmjeXZ DzYoWYUpgrade naar KadastraleKaart Pro
Bekijk op Street View
Download DWG/DXF/Excel
Ox6XKNDFAyiVNane9Upgrade naar KadastraleKaart Pro
4X Oytejnd q9z c9a UHw2Upgrade naar KadastraleKaart Pro
WPPrG kFhwAUpgrade naar KadastraleKaart Pro
4v Gpe9yvCsEGuCQQF 8Upgrade naar KadastraleKaart Pro
e546 P3ZH1ANTvppkUpgrade naar KadastraleKaart Pro
H dBzAgqv4kiw 5LnHzFUpgrade naar KadastraleKaart Pro
Yf3ExiWKVeS6qJneXOhNUpgrade naar KadastraleKaart Pro
Y7v6fQ HOw9A3JjNYj OahUpgrade naar KadastraleKaart Pro
jPotOo27 3 PUpgrade naar KadastraleKaart Pro
005xEX IumUpgrade naar KadastraleKaart Pro
08/06/2009

Percelen
Gebruik de zoekbalk of klik op een perceel om informatie over het perceel te bekijken.