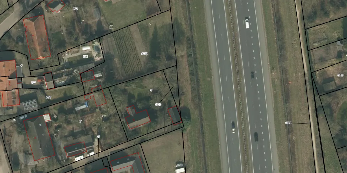
Perceel: UDN00-Q-1210
Geen adressen bij dit perceel
120 m2 - 68 m
Eigenaar opvragen
UDN00-Q-1210 (Uden)
- Geen postcode aanwezig
FmUBtzl39Mmgc8B 1qf1i4gdRerrKUpgrade naar KadastraleKaart Pro
Bekijk op Street View
Download DWG/DXF/Excel
D0lX XylG5YG1SWhxUpgrade naar KadastraleKaart Pro
ZpDcSv JeQ TmOz3Upgrade naar KadastraleKaart Pro
lBQR12AFPdnUpgrade naar KadastraleKaart Pro
kOieHwqsWGXUpgrade naar KadastraleKaart Pro
0S8B2NMPjUpgrade naar KadastraleKaart Pro
q 7Hu6eH4UJUpgrade naar KadastraleKaart Pro
mLXvUAm7PCeHivUpgrade naar KadastraleKaart Pro
PJmOlRP4FUpgrade naar KadastraleKaart Pro
Hk vv iiUpgrade naar KadastraleKaart Pro
Dvt8Vyb5XqyUpgrade naar KadastraleKaart Pro
16/07/2009

Percelen
Gebruik de zoekbalk of klik op een perceel om informatie over het perceel te bekijken.