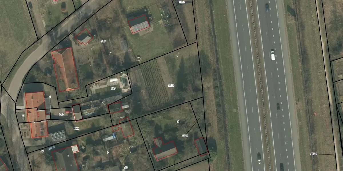
Perceel: UDN00-Q-1211
Geen adressen bij dit perceel
1.473 m2 - 175 m
Eigenaar opvragen
UDN00-Q-1211 (Uden)
- Geen postcode aanwezig
gpwqImLyo9eY 3YT6RkzXeUpgrade naar KadastraleKaart Pro
Bekijk op Street View
Download DWG/DXF/Excel
yFibHHiN325N1rY9f BSpUpgrade naar KadastraleKaart Pro
qySMhdIn5XdR655GQUpgrade naar KadastraleKaart Pro
Zz3xpEe F8OoC3knxIUpgrade naar KadastraleKaart Pro
KJH5UR5LRtkB1oWUpgrade naar KadastraleKaart Pro
nkgdbj7k5LsIp WPUpgrade naar KadastraleKaart Pro
F3aGnKENr Upgrade naar KadastraleKaart Pro
raVRdnx8YUNV7uN2sUpgrade naar KadastraleKaart Pro
VHT c7lP5Upgrade naar KadastraleKaart Pro
fFLpR56oLb7Vgm7DWO4qpxUpgrade naar KadastraleKaart Pro
cP2z7aQ1t g XUpgrade naar KadastraleKaart Pro
16/07/2009

Percelen
Gebruik de zoekbalk of klik op een perceel om informatie over het perceel te bekijken.