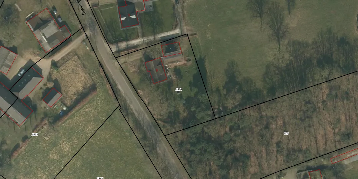
Perceel: UDN00-Q-1596
1.810 m2 - 174 m
Eigenaar opvragen
UDN00-Q-1596 (Uden)
- 5406 PS
Q 5hja5Jb KNjlfq8x eUpgrade naar KadastraleKaart Pro
Verkoopprijs opvragen
Bekijk op Street View
Download DWG/DXF/Excel
zBQ WzbvL7Upgrade naar KadastraleKaart Pro
y0qkQhSWbGlKLA3hwjs 7Upgrade naar KadastraleKaart Pro
a dp0d ryIZqth76jnUpgrade naar KadastraleKaart Pro
NVEK6LuySmyOfrC3Vi3Upgrade naar KadastraleKaart Pro
AlA ZCRt5DML1ttAUB w9SuUpgrade naar KadastraleKaart Pro
qzQ42aGd 95QcHiHPfLUpgrade naar KadastraleKaart Pro
x8Xnl1zrUpgrade naar KadastraleKaart Pro
UPnVVQwA qf1d7PG2Upgrade naar KadastraleKaart Pro
A 3 vURwUpgrade naar KadastraleKaart Pro
P R6Pbp6Ta 73DUpgrade naar KadastraleKaart Pro
16/03/2009

Percelen
Gebruik de zoekbalk of klik op een perceel om informatie over het perceel te bekijken.