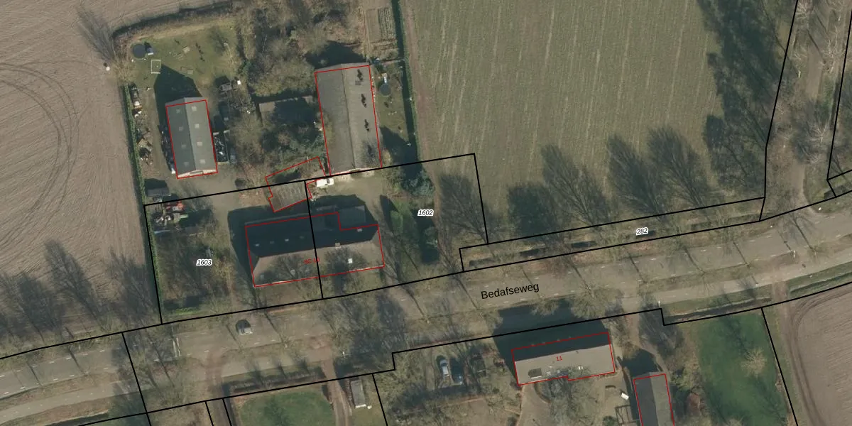
Perceel: UDN00-Q-1602
KadastraleKaart.com kan meer dan je denktOntdek meer ›
Filter op bestemming 50+ datasets Eigendomsdata in één klik Percelen CRM
1.075 m2 - 136 m
Eigenaar opvragen
UDN00-Q-1602 (Uden)
- 5406 TM
eCiR2LgQQsKnLSWXjUpgrade naar KadastraleKaart Pro
Verkoopprijs opvragen
Bekijk op Street View
Download DWG/DXF/Excel
QaH GB3BPUpgrade naar KadastraleKaart Pro
pHefwosEUjC4vBwgFDonjbUpgrade naar KadastraleKaart Pro
ccJo30ikflHqhf5iuSvHUpgrade naar KadastraleKaart Pro
U51E Cv w4Upgrade naar KadastraleKaart Pro
j CIq74BUpgrade naar KadastraleKaart Pro
Wzu2FMVnLARTohlJUpgrade naar KadastraleKaart Pro
Z2iUgEeSy ZNU 8UbI6fB fUpgrade naar KadastraleKaart Pro
43ju8FbZUpgrade naar KadastraleKaart Pro
Zr5r G3XgQF0lUpgrade naar KadastraleKaart Pro
QGtB1COOlQTUpgrade naar KadastraleKaart Pro
11/03/2009

Percelen
Gebruik de zoekbalk of klik op een perceel om informatie over het perceel te bekijken.