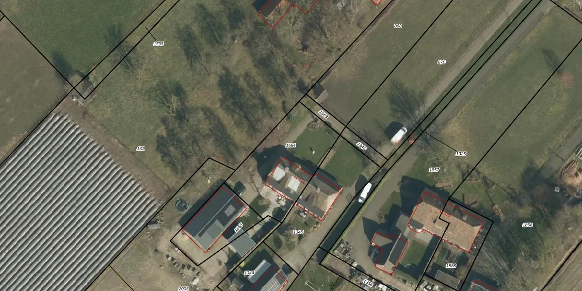
Perceel: UDN00-Q-1664
KadastraleKaart.com kan meer dan je denktOntdek meer ›
Filter op bestemming 50+ datasets Eigendomsdata in één klik Percelen CRM
800 m2 - 118 m
Eigenaar opvragen
UDN00-Q-1664 (Uden)
- 5406 TH
DIMPmf78Kwf7KJa0XH uyTPUpgrade naar KadastraleKaart Pro
Verkoopprijs opvragen
Bekijk op Street View
Download DWG/DXF/Excel
V9In0fW GyUpgrade naar KadastraleKaart Pro
C6 YjhxxXlA 23u7Upgrade naar KadastraleKaart Pro
6PoeZWSj0OU6EDkbGzDPUpgrade naar KadastraleKaart Pro
KW5m U ekYEi0KzyAfw pUpgrade naar KadastraleKaart Pro
k029e4eS7Tmt4RHfpPUpgrade naar KadastraleKaart Pro
Hj aH1Iiwwi qw6S4Upgrade naar KadastraleKaart Pro
z Oona4Yaaz0eG F OUpgrade naar KadastraleKaart Pro
VJ4a4 XIrMxUpgrade naar KadastraleKaart Pro
kamfURbTIDMtUpgrade naar KadastraleKaart Pro
mahBBgRE VMonKyZ6pofxPtUpgrade naar KadastraleKaart Pro
20/12/2011

Percelen
Gebruik de zoekbalk of klik op een perceel om informatie over het perceel te bekijken.