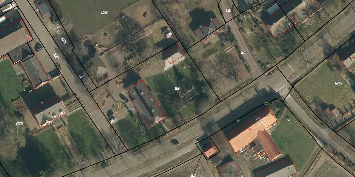
Perceel: UDN00-Q-227
KadastraleKaart.com kan meer dan je denktOntdek meer ›
Filter op bestemming 50+ datasets Eigendomsdata in één klik Percelen CRM
2.430 m2 - 199 m
Eigenaar opvragen
UDN00-Q-227 (Uden)
- 5406 TM
VNnVX J5dwJwJY6LUpgrade naar KadastraleKaart Pro
Verkoopprijs opvragen
Bekijk op Street View
Download DWG/DXF/Excel
jQgUw1g94 t DQphp7TV4Upgrade naar KadastraleKaart Pro
j7ttUMqZUxUpgrade naar KadastraleKaart Pro
ywIfw1yxUpgrade naar KadastraleKaart Pro
mbZcH5E 3UUpgrade naar KadastraleKaart Pro
JRajNWhb6tX5QJDUrQsUfRUpgrade naar KadastraleKaart Pro
uKF kmXjUpgrade naar KadastraleKaart Pro
fwgq 7APZ tHA YtOeO7F4Upgrade naar KadastraleKaart Pro
4Wb ehpzUpgrade naar KadastraleKaart Pro
PPvUkfzWm8TUpgrade naar KadastraleKaart Pro
EBmF78 gUpgrade naar KadastraleKaart Pro
08/03/2013

Percelen
Gebruik de zoekbalk of klik op een perceel om informatie over het perceel te bekijken.