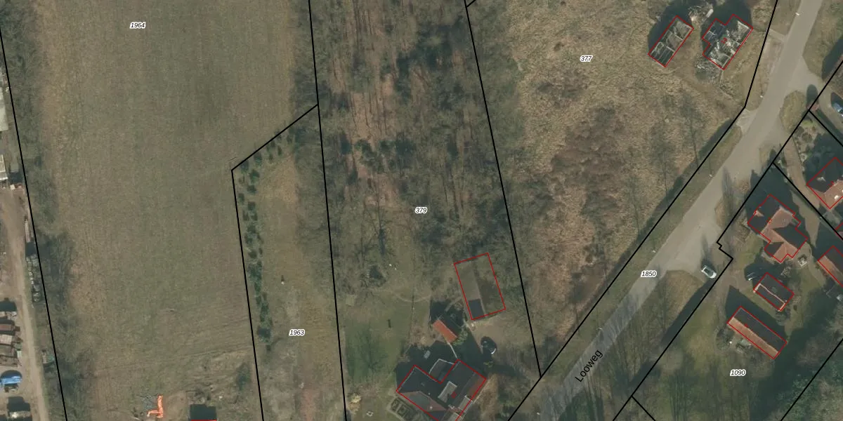
Perceel: UDN00-Q-379
KadastraleKaart.com kan meer dan je denktOntdek meer ›
Filter op bestemming 50+ datasets Eigendomsdata in één klik Percelen CRM
6.830 m2 - 449 m
Eigenaar opvragen
UDN00-Q-379 (Uden)
- 5406 PL
D 7hNCh8331bKQtxqkOtb LPtk0UIaSUpgrade naar KadastraleKaart Pro
Bekijk op Street View
Download DWG/DXF/Excel
8f4X6T9pT V bpd8TbEUpgrade naar KadastraleKaart Pro
SDe2Pw5BnaNUpgrade naar KadastraleKaart Pro
VIfFjJqzTsUpgrade naar KadastraleKaart Pro
Ap1eb8 fILUpgrade naar KadastraleKaart Pro
w GALSySHOq8ggs7CHdVgyUpgrade naar KadastraleKaart Pro
sKnpg2RG04R zUpgrade naar KadastraleKaart Pro
pVfOjnn6csBUpgrade naar KadastraleKaart Pro
o3fKEtWurAJ1EKVyFW sUpgrade naar KadastraleKaart Pro
MswMZ2tgUx6AlrchUpgrade naar KadastraleKaart Pro
G54p0NYnhL8FgUpgrade naar KadastraleKaart Pro
17/08/2023

Percelen
Gebruik de zoekbalk of klik op een perceel om informatie over het perceel te bekijken.