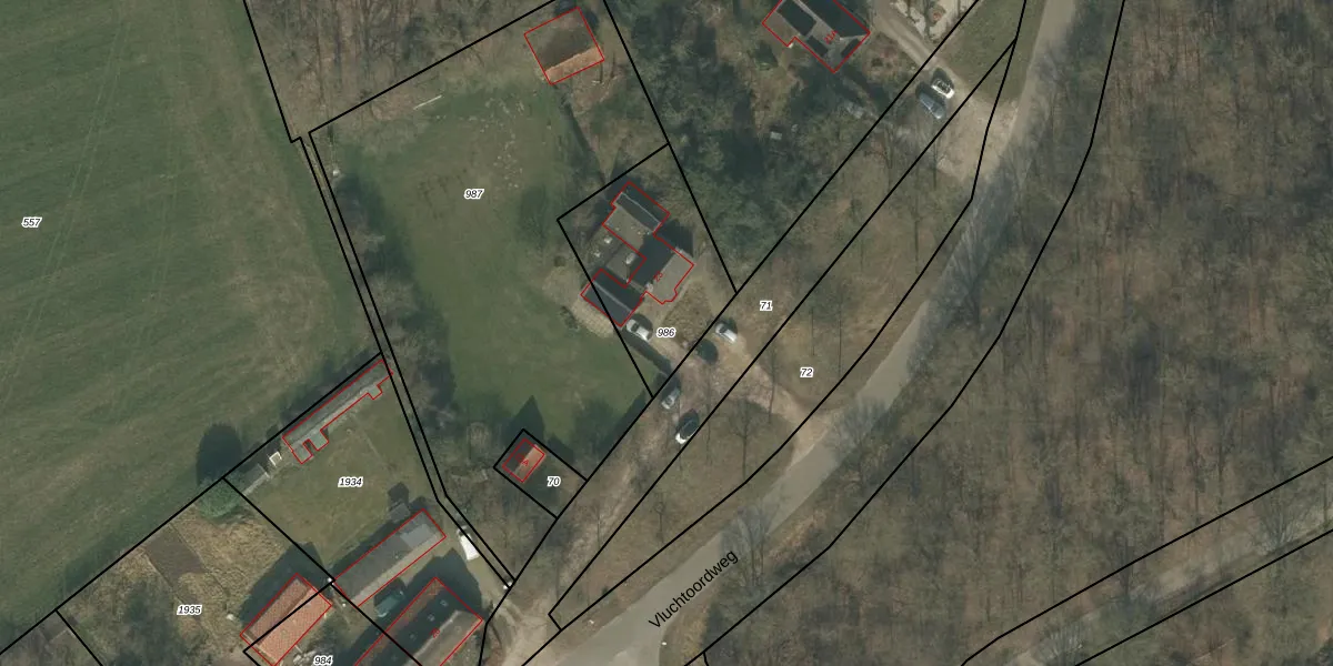
Perceel: UDN00-T-986
KadastraleKaart.com kan meer dan je denktOntdek meer ›
Filter op bestemming 50+ datasets Eigendomsdata in één klik Percelen CRM
525 m2 - 96 m
Eigenaar opvragen
UDN00-T-986 (Uden)
- 5406 XH
CrrvZ ye9sA7nnqBQeeLUpgrade naar KadastraleKaart Pro
Bekijk op Street View
Download DWG/DXF/Excel
7Fv Uo xUpgrade naar KadastraleKaart Pro
LuDy5iLiX FUpgrade naar KadastraleKaart Pro
Y1d9X4G58487nmoUpgrade naar KadastraleKaart Pro
TZ9eW9UjIeVCPPlRUpgrade naar KadastraleKaart Pro
dnT3Hs0r3zo2TOJUpgrade naar KadastraleKaart Pro
8 zyvIg4QUpgrade naar KadastraleKaart Pro
qaVbm2NbRw JYUpgrade naar KadastraleKaart Pro
z pune98wxkoor5T3Upgrade naar KadastraleKaart Pro
Dt CcpXPdsq BUpgrade naar KadastraleKaart Pro
Z8MKp3KP tFFSw6w9UMwJtUpgrade naar KadastraleKaart Pro
03/06/2009

Percelen
Gebruik de zoekbalk of klik op een perceel om informatie over het perceel te bekijken.