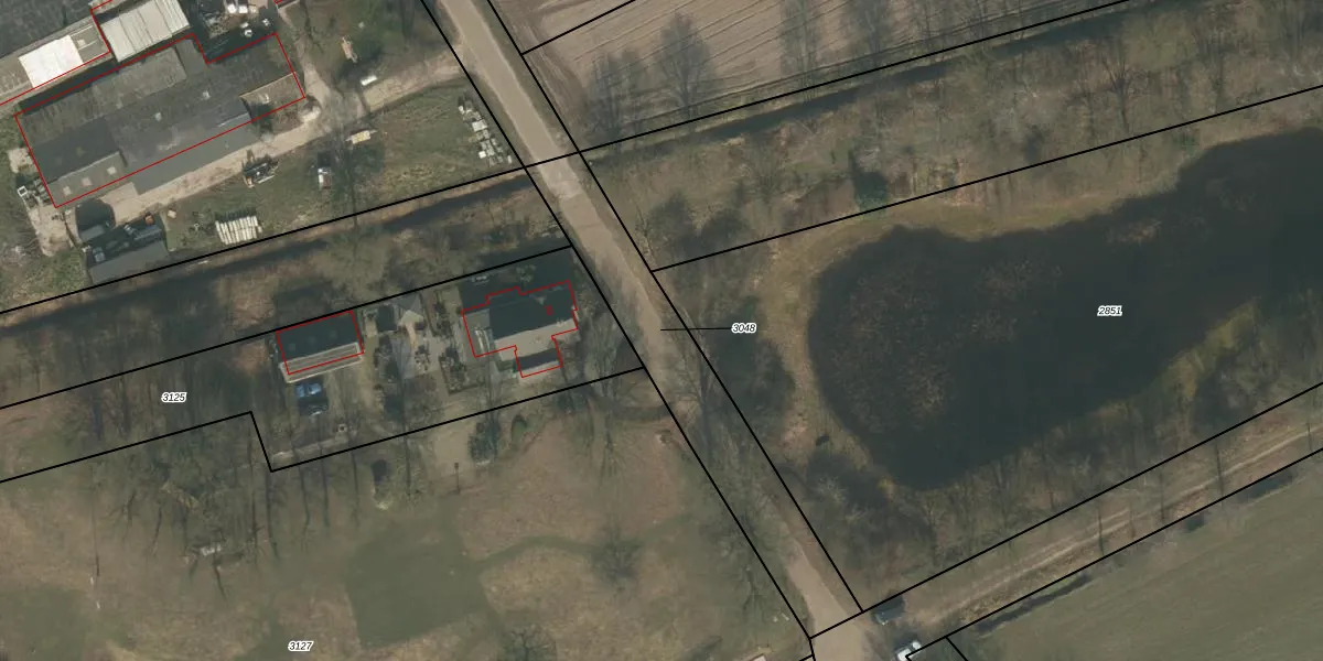
Perceel: UDN00-V-3048
KadastraleKaart.com kan meer dan je denktOntdek meer ›
Filter op bestemming 50+ datasets Eigendomsdata in één klik Percelen CRM
Geen adressen bij dit perceel
715 m2 - 183 m
Eigenaar opvragen
UDN00-V-3048 (Uden)
- Geen postcode aanwezig
fU8CslbKnc7QR nZJIFcNcE1s0VUpgrade naar KadastraleKaart Pro
Bekijk op Street View
Download DWG/DXF/Excel
oUAD m uU 4vx6yaXUpgrade naar KadastraleKaart Pro
OdREECtvvt3Q6V4HtmTsUpgrade naar KadastraleKaart Pro
z Gf70Ab dZVTIQxUpgrade naar KadastraleKaart Pro
DKOfxho7mUpgrade naar KadastraleKaart Pro
Quvd Nt Z0DUpgrade naar KadastraleKaart Pro
71IbHaVowi23yUSFfJzT5Upgrade naar KadastraleKaart Pro
SLNDEBFXua7uCj 3MNn27jUpgrade naar KadastraleKaart Pro
CqCfb9GIRYvZC6 HS6HUpgrade naar KadastraleKaart Pro
bXxh9ImdDUpgrade naar KadastraleKaart Pro
NlbDEgP5c1JUpgrade naar KadastraleKaart Pro
24/03/2009

Percelen
Gebruik de zoekbalk of klik op een perceel om informatie over het perceel te bekijken.