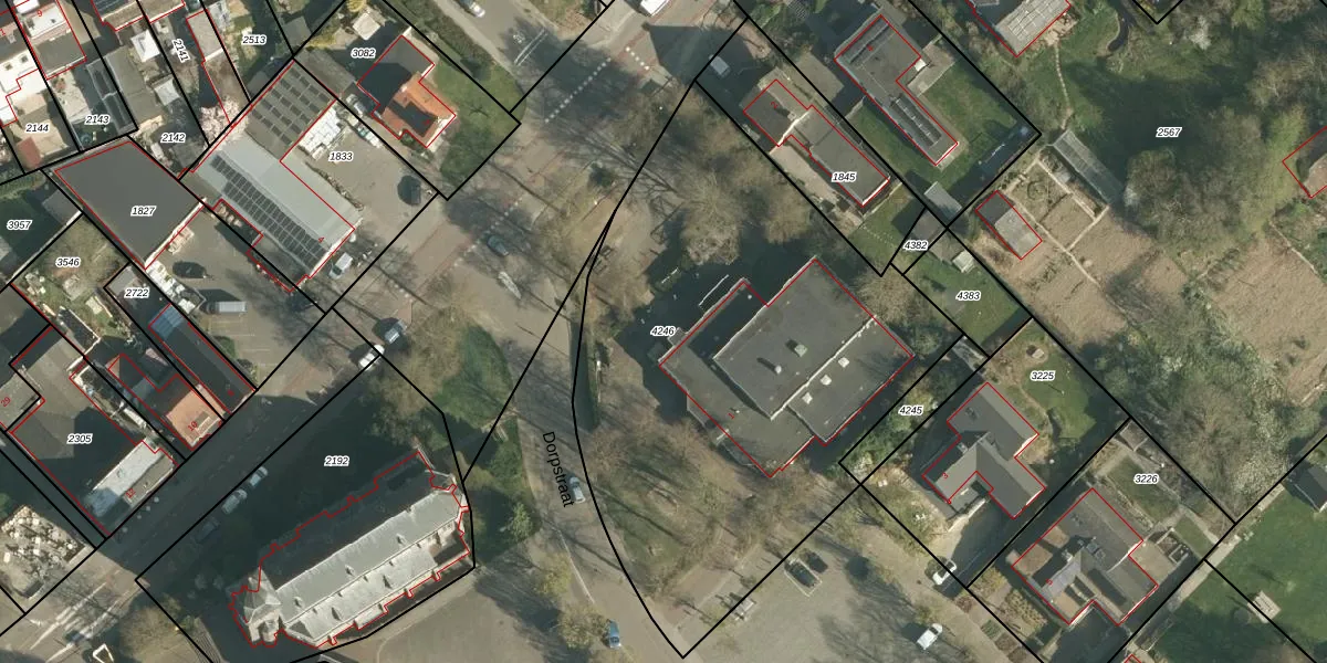
Perceel: ULS00-B-4246
KadastraleKaart.com kan meer dan je denktOntdek meer ›
Filter op bestemming 50+ datasets Eigendomsdata in één klik Percelen CRM
2.645 m2 - 223 m
Eigenaar opvragen
ULS00-B-4246 (Ulestraten)
- 6235 AC
NguLK2 tiy8iGZbLov4k3Uro Upgrade naar KadastraleKaart Pro
Bekijk op Street View
Download DWG/DXF/Excel
JNz 5l3a4 HsJNcBMsUpgrade naar KadastraleKaart Pro
Eic7le1KFaxxfFImc Upgrade naar KadastraleKaart Pro
FfbLlvdYk7Upgrade naar KadastraleKaart Pro
rWFLmHVeFeexVRLlWfzUpgrade naar KadastraleKaart Pro
e 8PrrUqpU pXUpgrade naar KadastraleKaart Pro
EGLJU87Upgrade naar KadastraleKaart Pro
Mrfx X8MpCNc1ggzUpgrade naar KadastraleKaart Pro
aMhfQtorjjokvHwUpgrade naar KadastraleKaart Pro
Eotl rKOt os Ekl7hEUpgrade naar KadastraleKaart Pro
2Es y0YsUpqrPONkjZDvUpgrade naar KadastraleKaart Pro
01/10/2025

Percelen
Gebruik de zoekbalk of klik op een perceel om informatie over het perceel te bekijken.