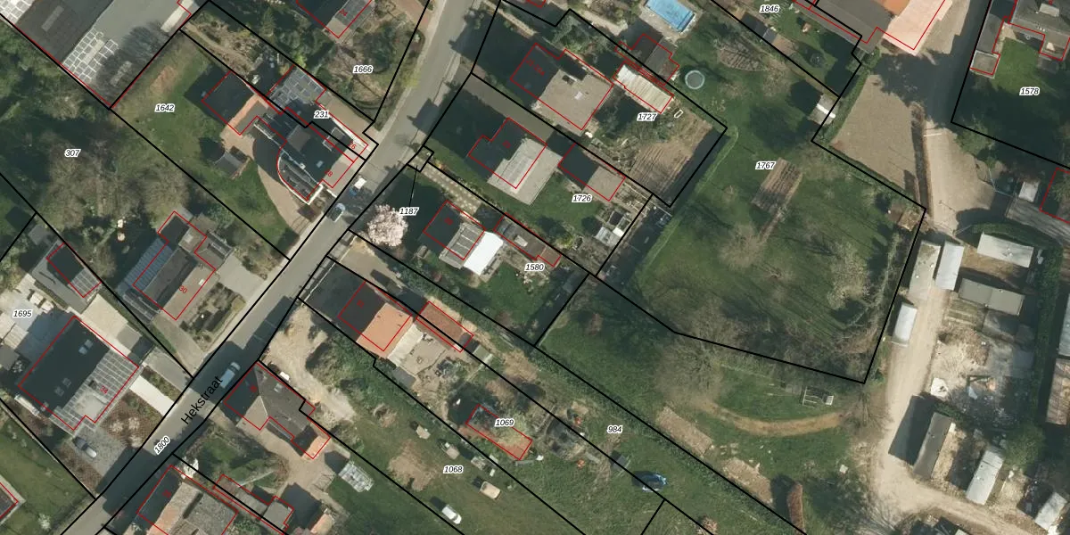
Perceel: ULS00-D-1580
KadastraleKaart.com kan meer dan je denktOntdek meer ›
Filter op bestemming 50+ datasets Eigendomsdata in één klik Percelen CRM
724 m2 - 117 m
Eigenaar opvragen
ULS00-D-1580 (Ulestraten)
- 6235 NK
jOChiw3 XEYVBqG6rXSizsUpgrade naar KadastraleKaart Pro
Verkoopprijs opvragen
Bekijk op Street View
Download DWG/DXF/Excel
yMn7MSbL1FFhVUpgrade naar KadastraleKaart Pro
VYkP1yH9 ytNaXwy p0eFUpgrade naar KadastraleKaart Pro
xwF9E77Z1A t8rUUN3tUpgrade naar KadastraleKaart Pro
FJd7 SozS1dzK5pLCngJUpgrade naar KadastraleKaart Pro
TCLAxGLI1rUIOen 1Upgrade naar KadastraleKaart Pro
Rp31u C vavmUpgrade naar KadastraleKaart Pro
1Ys5 lWrm5TnoWglR2bW Upgrade naar KadastraleKaart Pro
ZpmXn DcYQUpgrade naar KadastraleKaart Pro
RbgVr1O hqu4Upgrade naar KadastraleKaart Pro
DAMBtCeQl9 PUpgrade naar KadastraleKaart Pro
03/08/2007

Percelen
Gebruik de zoekbalk of klik op een perceel om informatie over het perceel te bekijken.