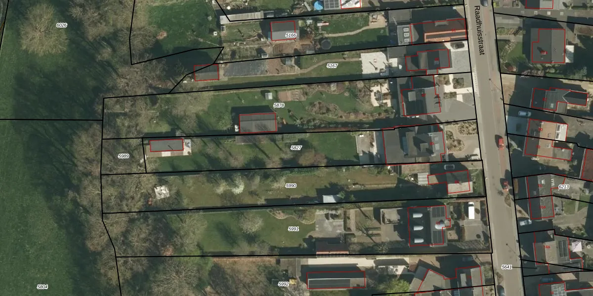
Perceel: UMD00-A-5827
KadastraleKaart.com kan meer dan je denktOntdek meer ›
Filter op bestemming 50+ datasets Eigendomsdata in één klik Percelen CRM
1.403 m2 - 253 m
Eigenaar opvragen
UMD00-A-5827 (Urmond)
- 6129 CB
IbE7FufimvNi4 3LTzSERMduUpgrade naar KadastraleKaart Pro
Bekijk op Street View
Download DWG/DXF/Excel
irrhzClbt2 r5HYaI LPydTUpgrade naar KadastraleKaart Pro
Onu0FuTCj2Upgrade naar KadastraleKaart Pro
ujIojLFhbnB29ug8s 1iUpgrade naar KadastraleKaart Pro
dzki4jNCL100 ctWhfAwmmxUpgrade naar KadastraleKaart Pro
uroq 6 uBV2VuOUpgrade naar KadastraleKaart Pro
SwCF1RfnthvVTvsWeUpgrade naar KadastraleKaart Pro
M0u ccO3420Q65th0rDPBUpgrade naar KadastraleKaart Pro
O3 CJgYOuZ 71vAHUpgrade naar KadastraleKaart Pro
TZvKeUv2pldFHMiby9eNLUpgrade naar KadastraleKaart Pro
GvPi62BgH9I W1VbE QUpgrade naar KadastraleKaart Pro
17/09/2009

Percelen
Gebruik de zoekbalk of klik op een perceel om informatie over het perceel te bekijken.