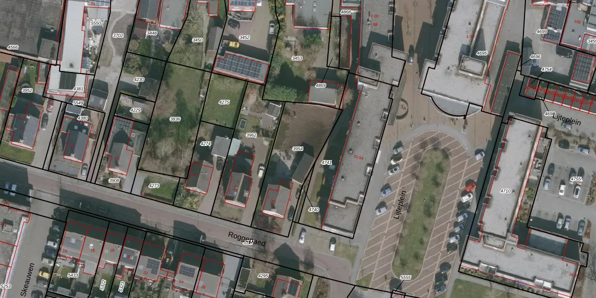
Perceel: URT00-A-3954
KadastraleKaart.com kan meer dan je denktOntdek meer ›
Filter op bestemming 50+ datasets Eigendomsdata in één klik Percelen CRM
676 m2 - 123 m
Eigenaar opvragen
URT00-A-3954 (Ureterp)
- 9247 BK
bnUj iu e DQQXUwc85Upgrade naar KadastraleKaart Pro
Verkoopprijs opvragen
Bekijk op Street View
Download DWG/DXF/Excel
Ti5szHFvowp UXa0euTaPfTUpgrade naar KadastraleKaart Pro
cC sXDkwGqGVQa9S j BUpgrade naar KadastraleKaart Pro
g RWYXr1mKbqK3WBkXGRQUpgrade naar KadastraleKaart Pro
igF5RTfmUz FkQxUpgrade naar KadastraleKaart Pro
C rrrLfFmT T 3iUpgrade naar KadastraleKaart Pro
cTCj kp FGO539QwvUpgrade naar KadastraleKaart Pro
E7nL Wm3s v AmdUpgrade naar KadastraleKaart Pro
bnIHJuP1oTc5k8Y21DqoVUpgrade naar KadastraleKaart Pro
coLxilAfmofAIpSLgYn mUpgrade naar KadastraleKaart Pro
pxvApu1c ix5DHO yCkP QUpgrade naar KadastraleKaart Pro
15/01/1998

Percelen
Gebruik de zoekbalk of klik op een perceel om informatie over het perceel te bekijken.