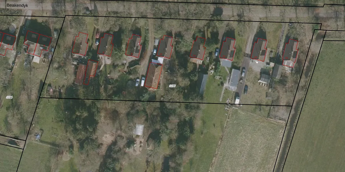
Perceel: URT00-E-1195
KadastraleKaart.com kan meer dan je denktOntdek meer ›
Filter op bestemming 50+ datasets Eigendomsdata in één klik Percelen CRM
7.120 m2 - 399 m
Eigenaar opvragen
URT00-E-1195 (Ureterp)
- 9247 WN
AxojFhNr4QhzSZxQOXe7Upgrade naar KadastraleKaart Pro
Bekijk op Street View
Download DWG/DXF/Excel
qptMQIfKP6QUpgrade naar KadastraleKaart Pro
jeYf0W E4NarOPPgahsUpgrade naar KadastraleKaart Pro
ty3PZdRBphzJCHAUUyUpgrade naar KadastraleKaart Pro
gac lo1 UCY lTGzUpgrade naar KadastraleKaart Pro
zuj w2G8Upgrade naar KadastraleKaart Pro
nTwLfQx6P Upgrade naar KadastraleKaart Pro
dVjLyJ nzodm bpUpgrade naar KadastraleKaart Pro
ldftIHFuzUObIXsmSNde vlUpgrade naar KadastraleKaart Pro
xbmbO1C2FlQpEKHUpgrade naar KadastraleKaart Pro
ESI2xiO rJ94D2Upgrade naar KadastraleKaart Pro
24/11/2008

Percelen
Gebruik de zoekbalk of klik op een perceel om informatie over het perceel te bekijken.