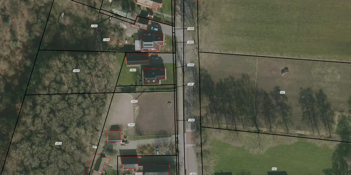
Perceel: URT00-F-1897
KadastraleKaart.com kan meer dan je denktOntdek meer ›
Filter op bestemming 50+ datasets Eigendomsdata in één klik Percelen CRM
Geen adressen bij dit perceel
6 m2 - 10 m
Eigenaar opvragen
URT00-F-1897 (Ureterp)
- Geen postcode aanwezig
UVWZRQTvsIuJUFexjbguNUpgrade naar KadastraleKaart Pro
Bekijk op Street View
Download DWG/DXF/Excel
VlVKVI59R JUpgrade naar KadastraleKaart Pro
S WzDICwgqhGlUpgrade naar KadastraleKaart Pro
nA9Wp2odOBOoEAklUpgrade naar KadastraleKaart Pro
CsAUT9 3zsRgUpgrade naar KadastraleKaart Pro
nRTMJxCax6VK7dVleRVJUpgrade naar KadastraleKaart Pro
eKNduXBAHv5kUUpgrade naar KadastraleKaart Pro
xOEKbK68R Upgrade naar KadastraleKaart Pro
BEGxle wu0QfcfEkI2j7Upgrade naar KadastraleKaart Pro
9mNYgVqSSP Upgrade naar KadastraleKaart Pro
8 Toq0B7Upgrade naar KadastraleKaart Pro
15/01/1998

Percelen
Gebruik de zoekbalk of klik op een perceel om informatie over het perceel te bekijken.