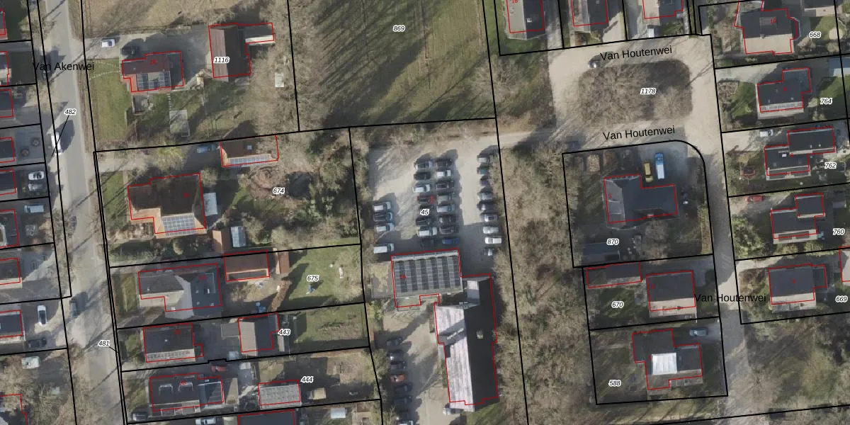
Perceel: URT00-G-45
KadastraleKaart.com kan meer dan je denktOntdek meer ›
Filter op bestemming 50+ datasets Eigendomsdata in één klik Percelen CRM
2.770 m2 - 228 m
Eigenaar opvragen
URT00-G-45 (Ureterp)
- 9248 SP
tx 4Se1qHx6NfWT 2XQOW 5uIMcagZUUpgrade naar KadastraleKaart Pro
Bekijk op Street View
Download DWG/DXF/Excel
LnMV2Aj6wUpgrade naar KadastraleKaart Pro
DvwQ6e eoSZWguaJgjY3XPUpgrade naar KadastraleKaart Pro
VG9AIegcqr pOjH Pe Upgrade naar KadastraleKaart Pro
3F 5pj CO aBUEn Upgrade naar KadastraleKaart Pro
Yoqvfl48YuE2qLbEPUpgrade naar KadastraleKaart Pro
j R5 J1SeSD8uuOUpgrade naar KadastraleKaart Pro
B8k VKOXeTTiLUpgrade naar KadastraleKaart Pro
i1yHGL 0 JJqgLUpgrade naar KadastraleKaart Pro
OtdHF0YP 1G k7EUpgrade naar KadastraleKaart Pro
s4HizBregUpgrade naar KadastraleKaart Pro
07/02/2000

Percelen
Gebruik de zoekbalk of klik op een perceel om informatie over het perceel te bekijken.