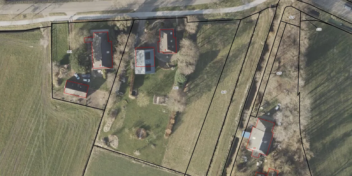
Perceel: URT00-G-842
KadastraleKaart.com kan meer dan je denktOntdek meer ›
Filter op bestemming 50+ datasets Eigendomsdata in één klik Percelen CRM
4.730 m2 - 286 m
Eigenaar opvragen
URT00-G-842 (Ureterp)
- 9248 SL
FBoQ MO9kZ72d5eSvlRXQdchAUpgrade naar KadastraleKaart Pro
Verkoopprijs opvragen
Bekijk op Street View
Download DWG/DXF/Excel
FeCR2BkYgOSeLsUpgrade naar KadastraleKaart Pro
oJKuq88DedAJqpTUpgrade naar KadastraleKaart Pro
EDJ2IhFn5 5LWbufQyrOJgUpgrade naar KadastraleKaart Pro
BSdYDUujFEUyd7zVSWUpgrade naar KadastraleKaart Pro
YoBeFyP4JlUpgrade naar KadastraleKaart Pro
U biPA2cVVDWUpgrade naar KadastraleKaart Pro
tsAH1zsFcUpgrade naar KadastraleKaart Pro
Wk7h41 4QsQvUpgrade naar KadastraleKaart Pro
PMjfYYalLUpgrade naar KadastraleKaart Pro
wrgRD GgxjOOLGtZdUpgrade naar KadastraleKaart Pro
09/02/2000

Percelen
Gebruik de zoekbalk of klik op een perceel om informatie over het perceel te bekijken.