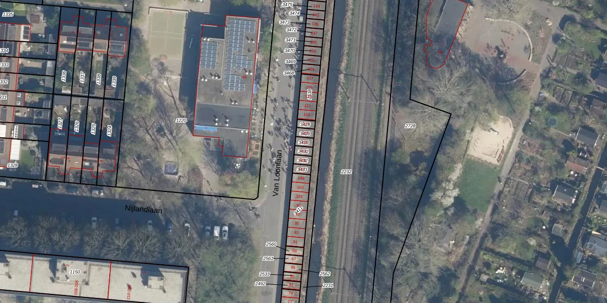
Perceel: UTT00-L-3431
KadastraleKaart.com kan meer dan je denktOntdek meer ›
Filter op bestemming 50+ datasets Eigendomsdata in één klik Percelen CRM
18 m2 - 18 m
Eigenaar opvragen
UTT00-L-3431 (Utrecht)
- 3571 XV
JDlccTVd9GgD43l1 Y OdeUpgrade naar KadastraleKaart Pro
Bekijk op Street View
Download DWG/DXF/Excel
w8RVw s7CyUpgrade naar KadastraleKaart Pro
ODyUSyF3txN0NOAbDpUgLUpgrade naar KadastraleKaart Pro
AyB1zD5hg4VlvgpV cNoUpgrade naar KadastraleKaart Pro
4HtNY6YBm5eTk46eDCiKUpgrade naar KadastraleKaart Pro
IIO8APAB0Hq CgR80OsUpgrade naar KadastraleKaart Pro
ju82I1n4FC2 T8myGg8Upgrade naar KadastraleKaart Pro
R pyi5PPQu9Upgrade naar KadastraleKaart Pro
PLn MEAvUpgrade naar KadastraleKaart Pro
yCkjz3Bx5U2Upgrade naar KadastraleKaart Pro
lfsfIeQZmvRQg 5drUehUpgrade naar KadastraleKaart Pro
20/12/2019

Percelen
Gebruik de zoekbalk of klik op een perceel om informatie over het perceel te bekijken.