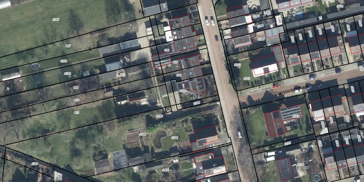
Perceel: VBG02-G-633
300 m2 - 75 m
Eigenaar opvragen
VBG02-G-633 (Valburg)
- 6673 XA
7K1tCV QlwV oBMeXlAEtUpgrade naar KadastraleKaart Pro
Bekijk op Street View
Download DWG/DXF/Excel
VwnfqhJIUpgrade naar KadastraleKaart Pro
eC fAwnhUpgrade naar KadastraleKaart Pro
UrrV4o3zXwr8eUpgrade naar KadastraleKaart Pro
MFbZg zAAGPJXcUpgrade naar KadastraleKaart Pro
qb CQPFV7FbLI6l Gg XFymUpgrade naar KadastraleKaart Pro
75Mi86RTwGUpgrade naar KadastraleKaart Pro
kJvIRGvS l9g UoP3Upgrade naar KadastraleKaart Pro
7BOhLBeTsbxH8wHqUkUpgrade naar KadastraleKaart Pro
4t8ej0EdKO5Upgrade naar KadastraleKaart Pro
iX8mABlZ Upgrade naar KadastraleKaart Pro
17/11/2004

Percelen
Gebruik de zoekbalk of klik op een perceel om informatie over het perceel te bekijken.