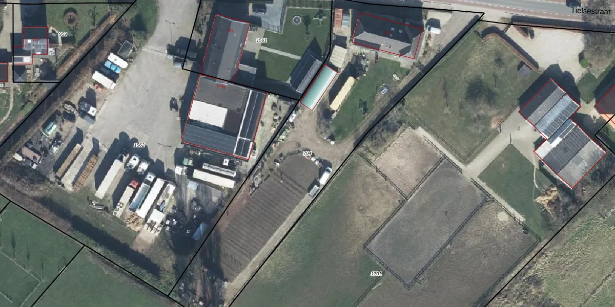
Perceel: VBG02-H-704
3.056 m2 - 316 m
Eigenaar opvragen
VBG02-H-704 (Valburg)
- 6674 AB
9gJhiIQvlrvb R p8SFvK91Upgrade naar KadastraleKaart Pro
Verkoopprijs opvragen
Bekijk op Street View
Download DWG/DXF/Excel
q7yPf mkfU253Upgrade naar KadastraleKaart Pro
EGSRkMvtkp e1Upgrade naar KadastraleKaart Pro
1 oHqBTn16lArjxHqUpgrade naar KadastraleKaart Pro
NAGR4udeDOU8Aju2PPUYGUpgrade naar KadastraleKaart Pro
3UtrxO9M4VLmNm4Ax hnUpgrade naar KadastraleKaart Pro
wSVQNod 4AUpgrade naar KadastraleKaart Pro
MQK9D9PtNGVUpgrade naar KadastraleKaart Pro
ZTH72Rdb16OkoSyUpgrade naar KadastraleKaart Pro
qrPEHrE8xUpgrade naar KadastraleKaart Pro
iLrKEHImwUpgrade naar KadastraleKaart Pro
17/09/2015

Percelen
Gebruik de zoekbalk of klik op een perceel om informatie over het perceel te bekijken.