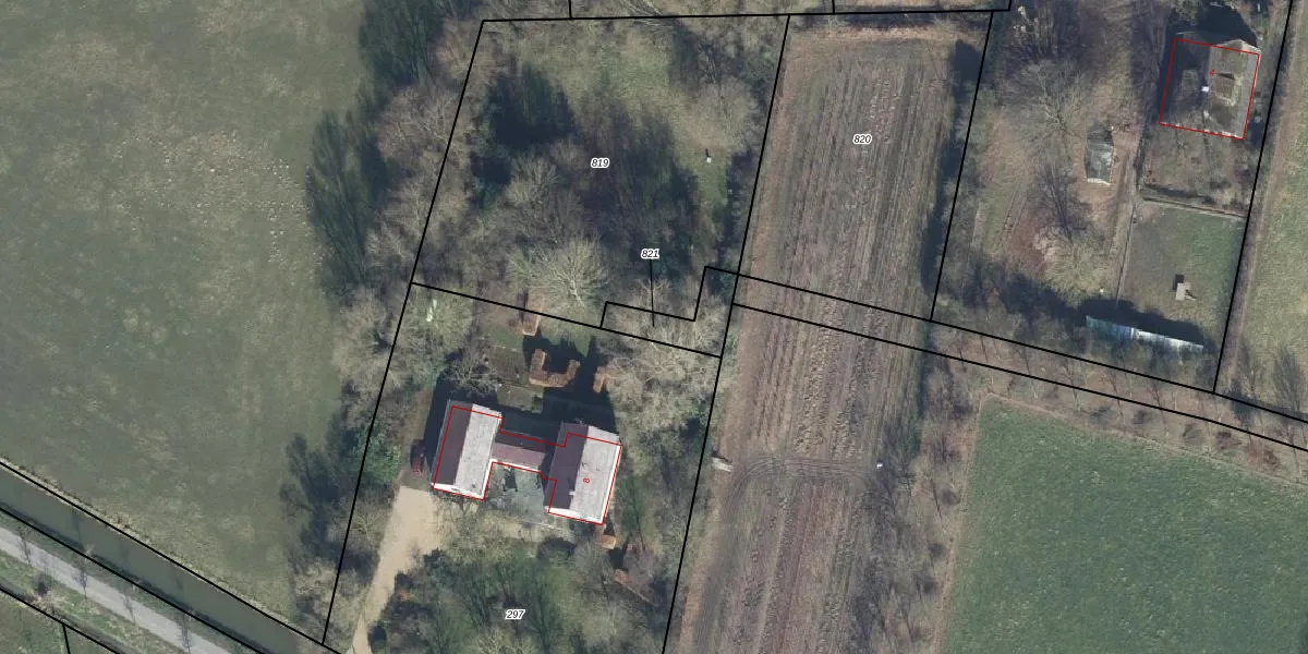
Perceel: VBG02-I-821
Geen adressen bij dit perceel
125 m2 - 63 m
Eigenaar opvragen
VBG02-I-821 (Valburg)
- Geen postcode aanwezig
uWuAyZWSjRRquL5SWav01HKHJQxUpgrade naar KadastraleKaart Pro
Bekijk op Street View
Download DWG/DXF/Excel
M0GRO o6HUpgrade naar KadastraleKaart Pro
uM8GvrhOJUpgrade naar KadastraleKaart Pro
vw1tdbyUVx8e92ACjwq4dUpgrade naar KadastraleKaart Pro
l Hg0ts AfUpgrade naar KadastraleKaart Pro
vu2 zLEpUpgrade naar KadastraleKaart Pro
DXC kKAKEgWhsUpgrade naar KadastraleKaart Pro
L3Dff7byXxXSUpgrade naar KadastraleKaart Pro
9 zzIlxBx3uUpgrade naar KadastraleKaart Pro
S GPdqAvAzFxcuuUpgrade naar KadastraleKaart Pro
D9tVPhSFeNBW8YRuCUpgrade naar KadastraleKaart Pro
04/06/1999

Percelen
Gebruik de zoekbalk of klik op een perceel om informatie over het perceel te bekijken.