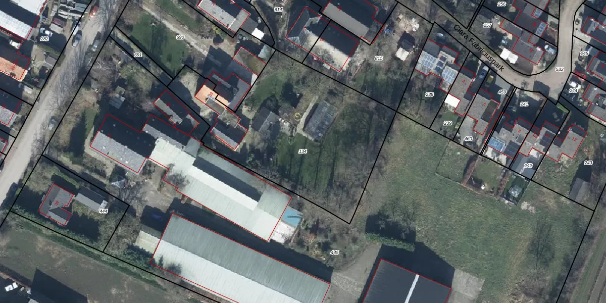
Perceel: VBG02-K-134
2.100 m2 - 228 m
Eigenaar opvragen
VBG02-K-134 (Valburg)
- 6677 PJ
z xQBiGI9mjXIiHDEDE0h4oUYX Upgrade naar KadastraleKaart Pro
Bekijk op Street View
Download DWG/DXF/Excel
PeTka8HJltf FPna 7jUpgrade naar KadastraleKaart Pro
HOw38ByNdRreuyUpgrade naar KadastraleKaart Pro
5Yb OqSGfpf8Upgrade naar KadastraleKaart Pro
TQRO s4JUpgrade naar KadastraleKaart Pro
Nz3SOqDpEmluAZl9zBUpgrade naar KadastraleKaart Pro
AQEBhBXJu1LO4 1Gyo QfUpgrade naar KadastraleKaart Pro
vAE7B l V5DUpgrade naar KadastraleKaart Pro
DKUT Y ZGeUpgrade naar KadastraleKaart Pro
ctlwZXw3nMTN rUpgrade naar KadastraleKaart Pro
D7qFpUamSVaPb8NCdUpgrade naar KadastraleKaart Pro
25/06/2025

Percelen
Gebruik de zoekbalk of klik op een perceel om informatie over het perceel te bekijken.