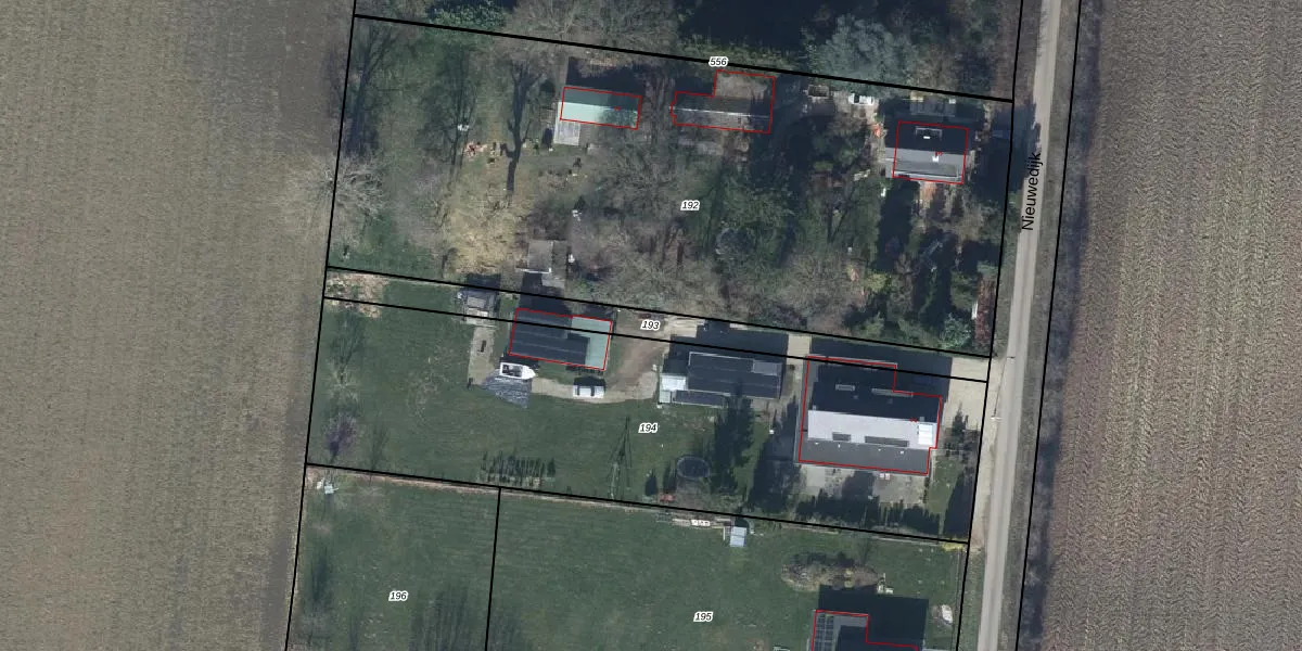
Perceel: VBG02-K-193
Geen adressen bij dit perceel
440 m2 - 214 m
Eigenaar opvragen
VBG02-K-193 (Valburg)
- Geen postcode aanwezig
JUo Q3jEtlwrm7noYe3VhUpgrade naar KadastraleKaart Pro
Bekijk op Street View
Download DWG/DXF/Excel
b NZ9wKVKQvQzwUCGBqUpgrade naar KadastraleKaart Pro
YDS6WAZuVY Pd2PsVYKTtUpgrade naar KadastraleKaart Pro
zx6dzPl0daa Upgrade naar KadastraleKaart Pro
SDJvbR0L9 DgXhV2pv Upgrade naar KadastraleKaart Pro
MTkdKe41kZ9EIUpgrade naar KadastraleKaart Pro
OwuYlFk8dUS3QNIusjSkTy3Upgrade naar KadastraleKaart Pro
J YVsW6IxWYnvZq0fVUpgrade naar KadastraleKaart Pro
YPZC6vxvH7vaPDVa3Upgrade naar KadastraleKaart Pro
UpzhtP4QYMdRu65JUpgrade naar KadastraleKaart Pro
jeZRP4IVHlqwUpgrade naar KadastraleKaart Pro
04/03/1999

Percelen
Gebruik de zoekbalk of klik op een perceel om informatie over het perceel te bekijken.