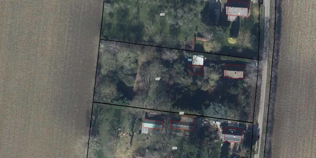
Perceel: VBG02-K-557
4.079 m2 - 283 m
Eigenaar opvragen
VBG02-K-557 (Valburg)
- 6677 PA
MMcWjr JcJGsIj deUpgrade naar KadastraleKaart Pro
Verkoopprijs opvragen
Bekijk op Street View
Download DWG/DXF/Excel
V43CC CK9fT6 Upgrade naar KadastraleKaart Pro
FWj Y0ZG 1 To8Ib tUpgrade naar KadastraleKaart Pro
kdl lCT0j1vn Upgrade naar KadastraleKaart Pro
nFd0d9zU zn W6LMUpgrade naar KadastraleKaart Pro
nmX0FB 1Lc6HaqkUpgrade naar KadastraleKaart Pro
1HWCG4tENUpgrade naar KadastraleKaart Pro
hH9yp yzVuD1 DXXzgUpgrade naar KadastraleKaart Pro
Fz 9w4rjwTFUpgrade naar KadastraleKaart Pro
odyeh21s54Upgrade naar KadastraleKaart Pro
OIQ8Gq3Tvl1LarIqFaXUpgrade naar KadastraleKaart Pro
20/05/2010

Percelen
Gebruik de zoekbalk of klik op een perceel om informatie over het perceel te bekijken.