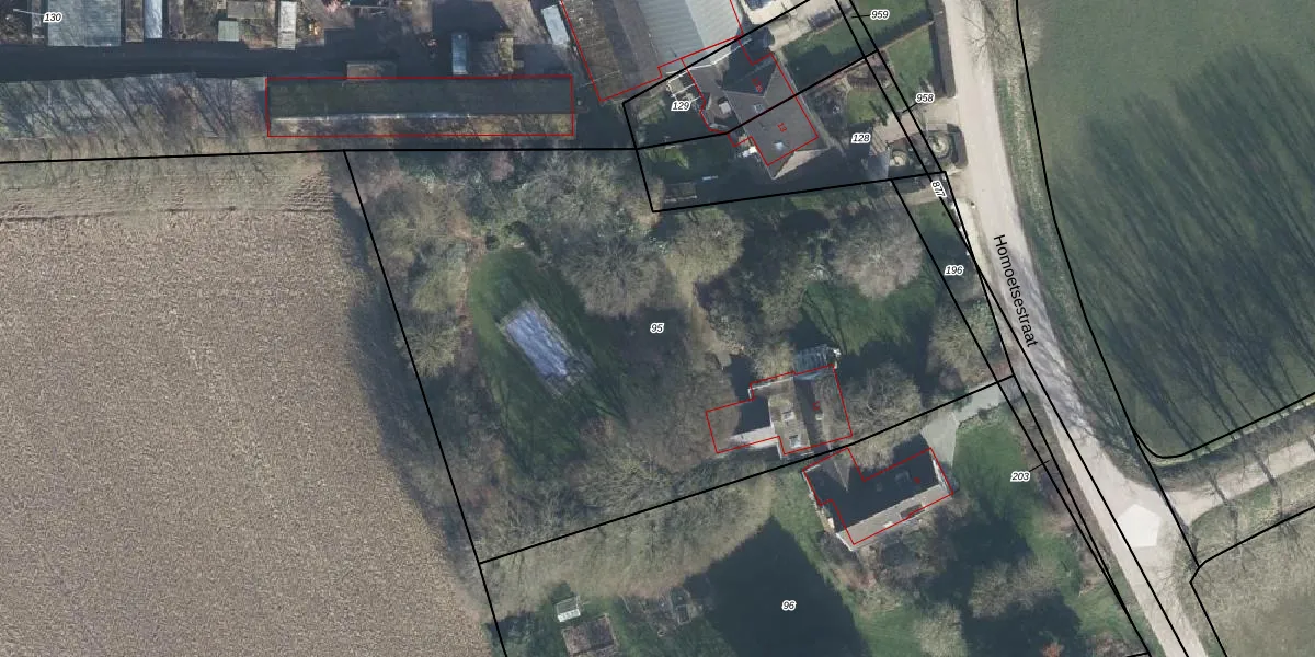
Perceel: VBG02-M-95
4.030 m2 - 276 m
Eigenaar opvragen
VBG02-M-95 (Valburg)
- 6676 LA
MLSaAK65x5Esmb6YmQwJ833FFbvcIEjUpgrade naar KadastraleKaart Pro
Bekijk op Street View
Download DWG/DXF/Excel
blV1XaOxV 9apt aZUpgrade naar KadastraleKaart Pro
y65TaN2 iisgFUpgrade naar KadastraleKaart Pro
0dg 2iCJUpgrade naar KadastraleKaart Pro
SsiDy370Upgrade naar KadastraleKaart Pro
JomtAMNkudUpgrade naar KadastraleKaart Pro
JJBFY BuUpgrade naar KadastraleKaart Pro
2Lc39gG6KUpgrade naar KadastraleKaart Pro
nzTEyk GYUpgrade naar KadastraleKaart Pro
VsgZhLWDBtB fqUpgrade naar KadastraleKaart Pro
BWtIIwswVU fxjap76JEVUpgrade naar KadastraleKaart Pro
22/01/2004

Percelen
Gebruik de zoekbalk of klik op een perceel om informatie over het perceel te bekijken.