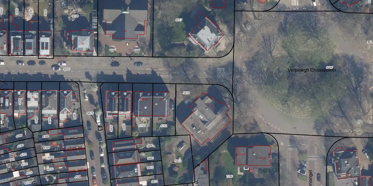
Perceel: VDG00-B-5879
KadastraleKaart.com kan meer dan je denktOntdek meer ›
Filter op bestemming 50+ datasets Eigendomsdata in één klik Percelen CRM
1.014 m2 - 136 m
Eigenaar opvragen
VDG00-B-5879 (Vlaardingen)
- 3134 BZ
t m9yA30LLq bB UsTtT8WOUpgrade naar KadastraleKaart Pro
Bekijk op Street View
Download DWG/DXF/Excel
Q6YmeN5VGYpngFIRUpgrade naar KadastraleKaart Pro
NEnK1G5wgCesUpgrade naar KadastraleKaart Pro
1HuGRAvahLsQE12un Upgrade naar KadastraleKaart Pro
bFnI4mQU3f PopqBrdfQkqxUpgrade naar KadastraleKaart Pro
36WxFHgsbXRZ j lUpgrade naar KadastraleKaart Pro
76RvG xr96JDjjE7Ml4UV2Upgrade naar KadastraleKaart Pro
xXboQHXp2YUpgrade naar KadastraleKaart Pro
6F01m RU6FJr3 Ql5Upgrade naar KadastraleKaart Pro
OvSPkN0aUpgrade naar KadastraleKaart Pro
1oa1wWnn6N7tI4Upgrade naar KadastraleKaart Pro
05/02/1998

Percelen
Gebruik de zoekbalk of klik op een perceel om informatie over het perceel te bekijken.