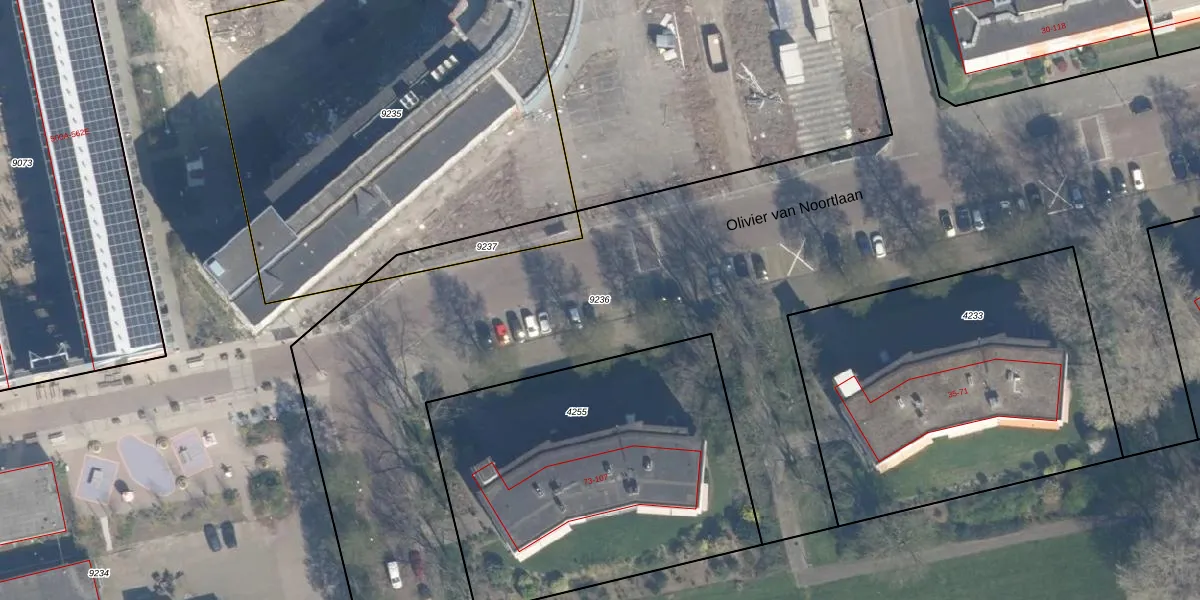
Perceel: VDG00-D-9236
KadastraleKaart.com kan meer dan je denktOntdek meer ›
Filter op bestemming 50+ datasets Eigendomsdata in één klik Percelen CRM
Geen adressen bij dit perceel
7.199 m2 - 738 m
Eigenaar opvragen
VDG00-D-9236 (Vlaardingen)
- Geen postcode aanwezig
KNTf 9kwqeMIf2puUpgrade naar KadastraleKaart Pro
Bekijk op Street View
Download DWG/DXF/Excel
PwNMiwk1mDUpgrade naar KadastraleKaart Pro
wZ5I2vh 50lZ qaCFE YpSUpgrade naar KadastraleKaart Pro
ObrbLpXwli4MP4i9OQZ8N78Upgrade naar KadastraleKaart Pro
fXVQK Rr17GPOQUpgrade naar KadastraleKaart Pro
Bxn 4CEOyeHWdluABUpgrade naar KadastraleKaart Pro
t vnuKvzR9Upgrade naar KadastraleKaart Pro
N6ejrznoXp9kKuXSUpgrade naar KadastraleKaart Pro
dLIjepsc52G fmlaY Upgrade naar KadastraleKaart Pro
RptSA0GEPV9Upgrade naar KadastraleKaart Pro
8EysMB8jx3HrKEOUpgrade naar KadastraleKaart Pro
20/01/2026

Percelen
Gebruik de zoekbalk of klik op een perceel om informatie over het perceel te bekijken.