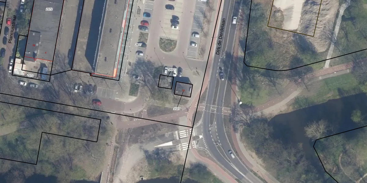
Perceel: VDG00-H-1537
KadastraleKaart.com kan meer dan je denktOntdek meer ›
Filter op bestemming 50+ datasets Eigendomsdata in één klik Percelen CRM
63 m2 - 32 m
Eigenaar opvragen
VDG00-H-1537 (Vlaardingen)
- 3132 HA
YoAeixAKqYLruhl28LKIbAptcUpgrade naar KadastraleKaart Pro
Bekijk op Street View
Download DWG/DXF/Excel
o sgWt6 V Ym8ZTZjw3Upgrade naar KadastraleKaart Pro
C3hb28d2jEJMhEGKuN18HUpgrade naar KadastraleKaart Pro
hhyoCu4i DTW5ef1ze7mSfUpgrade naar KadastraleKaart Pro
5FF 0Qj6NHb8RUpgrade naar KadastraleKaart Pro
f1tY7 r1QIGdSIlVjZwWNw Upgrade naar KadastraleKaart Pro
MBJSBkApd7M02KUpgrade naar KadastraleKaart Pro
q5lQL8EsUpgrade naar KadastraleKaart Pro
JTwyywLEgyvoOoh ro5R Upgrade naar KadastraleKaart Pro
IS2dULig MnCp UoHbqm5Upgrade naar KadastraleKaart Pro
NgZ9VDi0prSUpgrade naar KadastraleKaart Pro
23/12/2010

Percelen
Gebruik de zoekbalk of klik op een perceel om informatie over het perceel te bekijken.