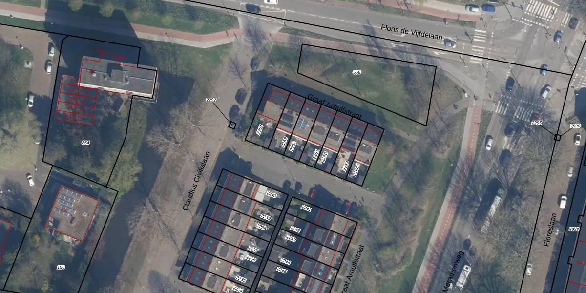
Perceel: VDG00-H-2252
KadastraleKaart.com kan meer dan je denktOntdek meer ›
Filter op bestemming 50+ datasets Eigendomsdata in één klik Percelen CRM
119 m2 - 53 m
Eigenaar opvragen
VDG00-H-2252 (Vlaardingen)
- 3132 JC
gXQ Fxed9KrGfZ6Tpr7 2h9hiSUpgrade naar KadastraleKaart Pro
Bekijk op Street View
Download DWG/DXF/Excel
MGwKsfofQZrUpgrade naar KadastraleKaart Pro
K4xC2e7u9m6N gJDjWDNBvoUpgrade naar KadastraleKaart Pro
aVp4fJYnKm5q cIYehmzFC Upgrade naar KadastraleKaart Pro
WzP1vkpdMkWqvmUpgrade naar KadastraleKaart Pro
DGZI0j7QaFjrUpgrade naar KadastraleKaart Pro
eus39k0M 6D1nI7Gz7 adnaUpgrade naar KadastraleKaart Pro
3kPb4nBBIpb1gU0ycfTUpgrade naar KadastraleKaart Pro
GhE 9kPX0ylP0y5krCRsTaVUpgrade naar KadastraleKaart Pro
ujaardlWDTLbudyH7GUpgrade naar KadastraleKaart Pro
HAf6vU48qLY2zpUpgrade naar KadastraleKaart Pro
10/06/2010

Percelen
Gebruik de zoekbalk of klik op een perceel om informatie over het perceel te bekijken.