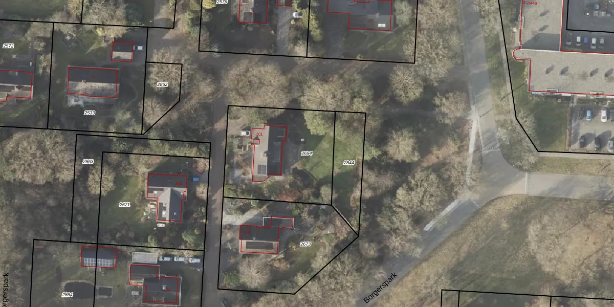
Perceel: VDM00-C-2694
KadastraleKaart.com kan meer dan je denktOntdek meer ›
Filter op bestemming 50+ datasets Eigendomsdata in één klik Percelen CRM
1.049 m2 - 131 m
Eigenaar opvragen
VDM00-C-2694 (Veendam)
- 9642 LM
GCdqMY9JnDLMWHYUDZ JQ8KMcH ieyUpgrade naar KadastraleKaart Pro
Bekijk op Street View
Download DWG/DXF/Excel
L4TCx7IpjpT6dcXLE6Upgrade naar KadastraleKaart Pro
K7p8jBb PH9EUpgrade naar KadastraleKaart Pro
Mbp3FeWztnMx1OUpgrade naar KadastraleKaart Pro
gUILR4WnJBy g2WtUpgrade naar KadastraleKaart Pro
za4p4fNevUpgrade naar KadastraleKaart Pro
tZmZaR ZmdpCiLUpgrade naar KadastraleKaart Pro
YLR9ifSGe3DUychUpgrade naar KadastraleKaart Pro
es CyUAkXz8 Upgrade naar KadastraleKaart Pro
MZH7vOHjjlMnsIOyE8ZglUpgrade naar KadastraleKaart Pro
2ESpc 1cdSWrlgUpgrade naar KadastraleKaart Pro
03/03/2011

Percelen
Gebruik de zoekbalk of klik op een perceel om informatie over het perceel te bekijken.