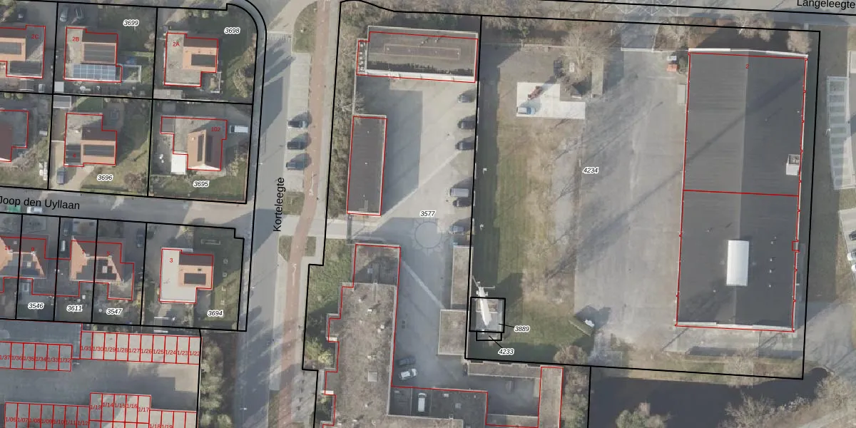
Perceel: VDM00-C-3577
KadastraleKaart.com kan meer dan je denktOntdek meer ›
Filter op bestemming 50+ datasets Eigendomsdata in één klik Percelen CRM
4.800 m2 - 352 m
Eigenaar opvragen
VDM00-C-3577 (Veendam)
- 9641 PE
HHyc3LYN2NCFd6omNNUpgrade naar KadastraleKaart Pro
Bekijk op Street View
Download DWG/DXF/Excel
0QNLXvdi4EGUpgrade naar KadastraleKaart Pro
UmAcj eh 4i8KaNDEZRqYoUpgrade naar KadastraleKaart Pro
7MMtG86Y9ELbl 9Upgrade naar KadastraleKaart Pro
dQx fvZxLrJK7Pfxju fVUpgrade naar KadastraleKaart Pro
Q79 Ei skI6CUpgrade naar KadastraleKaart Pro
5FmAMRKlLKzG63Upgrade naar KadastraleKaart Pro
D2hec 3Lu9cPIHx7pzfp FUpgrade naar KadastraleKaart Pro
z8zUmdjvUZ4evo75ZkDUpgrade naar KadastraleKaart Pro
YU5H56pJMyDTOHUpgrade naar KadastraleKaart Pro
98DcIFyz 3alFQmqpeP3Upgrade naar KadastraleKaart Pro
04/01/2010

Percelen
Gebruik de zoekbalk of klik op een perceel om informatie over het perceel te bekijken.