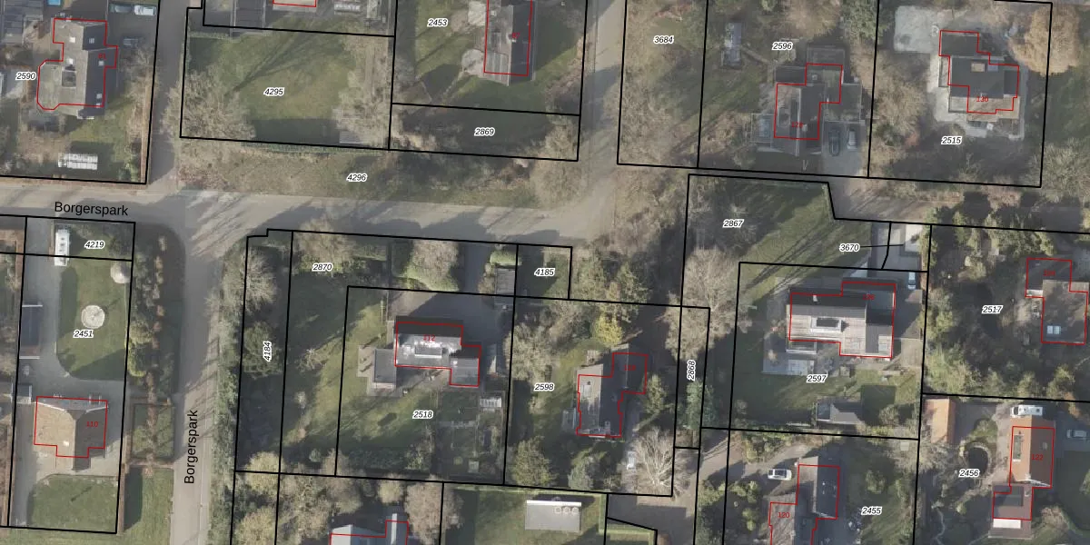
Perceel: VDM00-C-4185
KadastraleKaart.com kan meer dan je denktOntdek meer ›
Filter op bestemming 50+ datasets Eigendomsdata in één klik Percelen CRM
Geen adressen bij dit perceel
95 m2 - 39 m
Eigenaar opvragen
VDM00-C-4185 (Veendam)
- Geen postcode aanwezig
FI8OjhW2BnlNb4J3N 4TYUH6VP4vFH8Upgrade naar KadastraleKaart Pro
Bekijk op Street View
Download DWG/DXF/Excel
4k SDWa9dEmI pJj3CCEUpgrade naar KadastraleKaart Pro
WB0oDUeqTiQYo3iHUpgrade naar KadastraleKaart Pro
aYgxQuZ1v8 I3Ud4T pHUpgrade naar KadastraleKaart Pro
ElS1Fo3tI 3 9bmB1V Upgrade naar KadastraleKaart Pro
qZ itmjfYcQYTjUpgrade naar KadastraleKaart Pro
q FRjShjqW0jmpZ6ZcUpgrade naar KadastraleKaart Pro
R9nIrwByWlFPbCUpgrade naar KadastraleKaart Pro
EvPNEwe 7fUpgrade naar KadastraleKaart Pro
9 QbWWj QMOaDsUpgrade naar KadastraleKaart Pro
aL1y8hOAEasimV1vE VUpgrade naar KadastraleKaart Pro
03/03/2011

Percelen
Gebruik de zoekbalk of klik op een perceel om informatie over het perceel te bekijken.