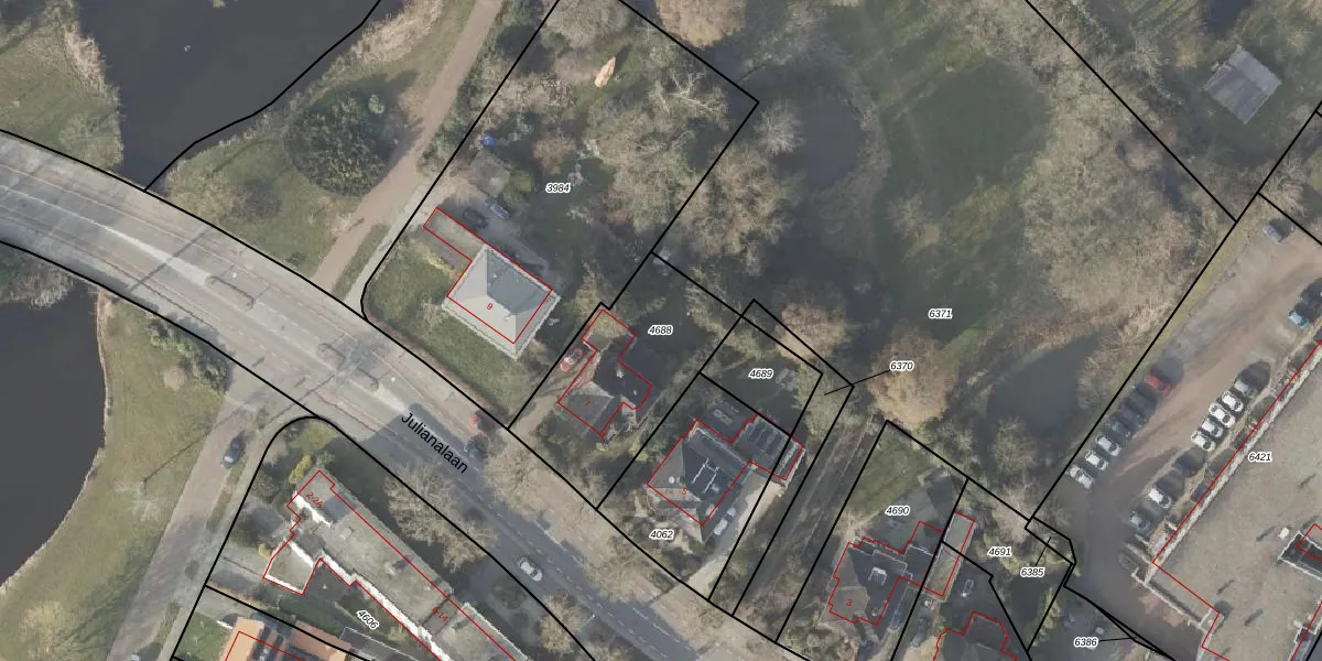
Perceel: VDM00-D-4688
KadastraleKaart.com kan meer dan je denktOntdek meer ›
Filter op bestemming 50+ datasets Eigendomsdata in één klik Percelen CRM
610 m2 - 108 m
Eigenaar opvragen
VDM00-D-4688 (Veendam)
- 9641 LX
uX 3 Tf zuQGihARZ6JMe uMGhfkUpgrade naar KadastraleKaart Pro
Bekijk op Street View
Download DWG/DXF/Excel
xkR8IH v0Wx5BBvUpgrade naar KadastraleKaart Pro
mkDy6wPvqP6hMlwWO sTVZUpgrade naar KadastraleKaart Pro
pbwHUSf3r8Upgrade naar KadastraleKaart Pro
oYhNc2TXVTc8NIdEaUpgrade naar KadastraleKaart Pro
zwjwSxNoUpgrade naar KadastraleKaart Pro
HAo m A8XPzitH spoeW7WUpgrade naar KadastraleKaart Pro
k19QMUO7pSrvCSojlzn 4WcUpgrade naar KadastraleKaart Pro
e34AXbk5J N4GCp9lCUpgrade naar KadastraleKaart Pro
nK z LTo2Z9q Upgrade naar KadastraleKaart Pro
aCVhicjONPZbfaUJXvNPgMUpgrade naar KadastraleKaart Pro
08/11/1999

Percelen
Gebruik de zoekbalk of klik op een perceel om informatie over het perceel te bekijken.