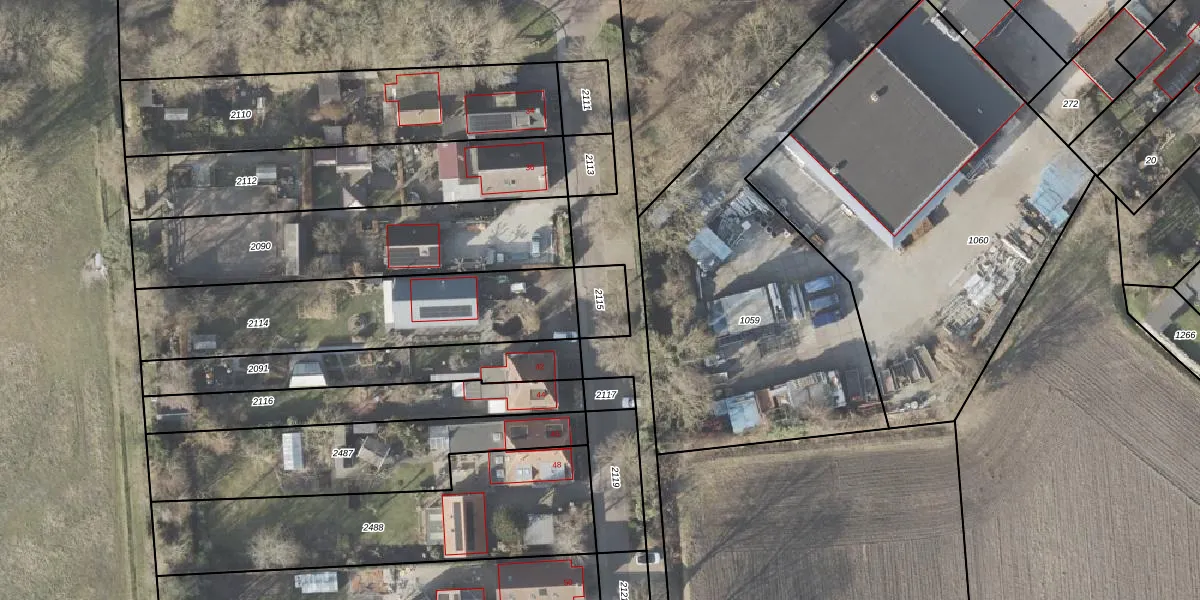
Perceel: VDM00-I-2115
KadastraleKaart.com kan meer dan je denktOntdek meer ›
Filter op bestemming 50+ datasets Eigendomsdata in één klik Percelen CRM
Geen adressen bij dit perceel
115 m2 - 41 m
Eigenaar opvragen
VDM00-I-2115 (Veendam)
- Geen postcode aanwezig
q l03Bp 6e dw Y818VIUpgrade naar KadastraleKaart Pro
Bekijk op Street View
Download DWG/DXF/Excel
KrBf Qdj xHzAbUpgrade naar KadastraleKaart Pro
v T1CZFyUpgrade naar KadastraleKaart Pro
eP pA0MpaXrmVbZSTYYqsJlUpgrade naar KadastraleKaart Pro
x v7JuPLO TDPwKUpgrade naar KadastraleKaart Pro
dSVn0 suzHLvWjOUpgrade naar KadastraleKaart Pro
7oGyLZc56iEcWFq Upgrade naar KadastraleKaart Pro
MsmBQPNDMW0eSrEzeo Upgrade naar KadastraleKaart Pro
G2ZxNer7fVtdmwsUpgrade naar KadastraleKaart Pro
Sgs rTqxOj0VhljUpgrade naar KadastraleKaart Pro
7 lvMbMl1u62tUpgrade naar KadastraleKaart Pro
19/11/1999

Percelen
Gebruik de zoekbalk of klik op een perceel om informatie over het perceel te bekijken.