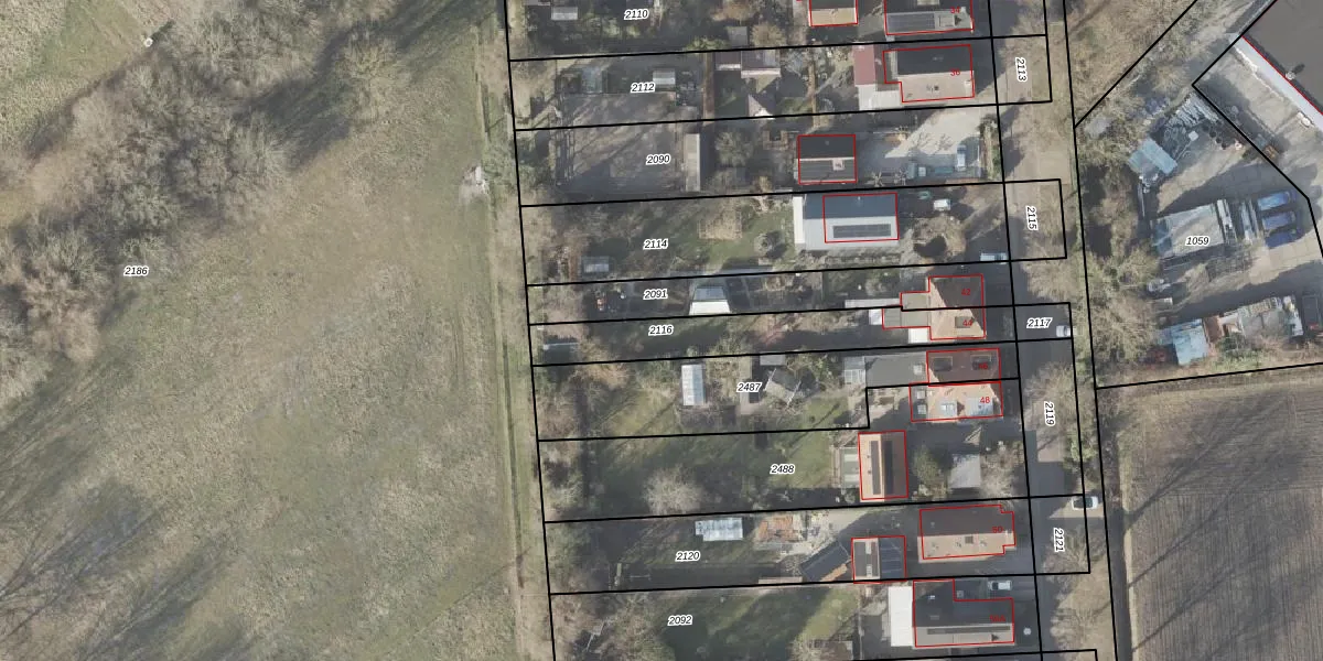
Perceel: VDM00-I-2116
KadastraleKaart.com kan meer dan je denktOntdek meer ›
Filter op bestemming 50+ datasets Eigendomsdata in één klik Percelen CRM
425 m2 - 159 m
Eigenaar opvragen
VDM00-I-2116 (Veendam)
- 9644 TS
SJFamL MSS nfuQGaJDcG1Dt8XJEUxUpgrade naar KadastraleKaart Pro
Verkoopprijs opvragen
Bekijk op Street View
Download DWG/DXF/Excel
kyD7UrBOIZU s5FD0RoZUpgrade naar KadastraleKaart Pro
nOtbR1Fz Upgrade naar KadastraleKaart Pro
kclf JuUpgrade naar KadastraleKaart Pro
kOX9yQsG9UBm Oh Upgrade naar KadastraleKaart Pro
nmWBGvJc33Upgrade naar KadastraleKaart Pro
b wwJyvAUeI 5mLafGvxUpgrade naar KadastraleKaart Pro
TfjtD3DBkUpgrade naar KadastraleKaart Pro
PrfUGO0VitE MUpgrade naar KadastraleKaart Pro
fjmJld H0ncLDLxI8Upgrade naar KadastraleKaart Pro
YD5z Z1 gTLe219Upgrade naar KadastraleKaart Pro
19/07/2010

Percelen
Gebruik de zoekbalk of klik op een perceel om informatie over het perceel te bekijken.