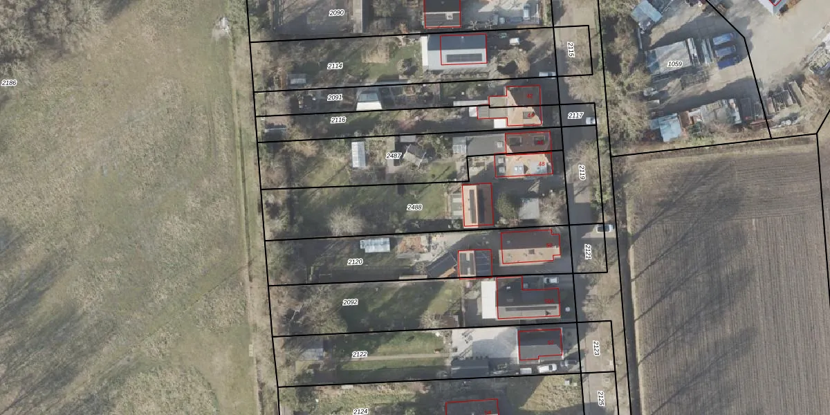
Perceel: VDM00-I-2488
KadastraleKaart.com kan meer dan je denktOntdek meer ›
Filter op bestemming 50+ datasets Eigendomsdata in één klik Percelen CRM
1.028 m2 - 183 m
Eigenaar opvragen
VDM00-I-2488 (Veendam)
- 9644 TS
ePBmfB8l7B17F4JwhqmNNs9QITuUpgrade naar KadastraleKaart Pro
Verkoopprijs opvragen
Bekijk op Street View
Download DWG/DXF/Excel
88qozy4WwJWtJgd7G Upgrade naar KadastraleKaart Pro
sgqqX4XlDr7cJUpgrade naar KadastraleKaart Pro
n25oXXm0LfkDQmmuRaBLcUpgrade naar KadastraleKaart Pro
XmpgL rnOUEUpgrade naar KadastraleKaart Pro
x4o7 AAs6yUpgrade naar KadastraleKaart Pro
P QVjJa6CDKPUpgrade naar KadastraleKaart Pro
LwzI X VAqlOi7FmUpgrade naar KadastraleKaart Pro
HpCwfYNe3vSN5zMhkVO Upgrade naar KadastraleKaart Pro
3RTW3DI2imdutUpgrade naar KadastraleKaart Pro
6KuacRZez09gFyNyZ h BpYUpgrade naar KadastraleKaart Pro
19/07/2010

Percelen
Gebruik de zoekbalk of klik op een perceel om informatie over het perceel te bekijken.