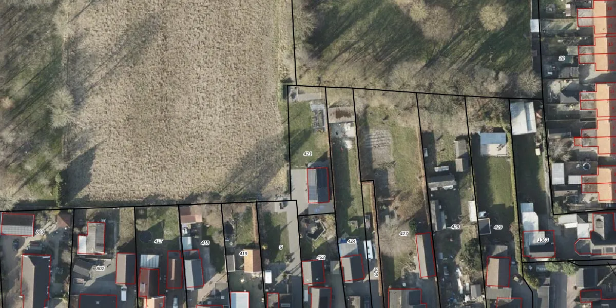
Perceel: VDM00-O-421
KadastraleKaart.com kan meer dan je denktOntdek meer ›
Filter op bestemming 50+ datasets Eigendomsdata in één klik Percelen CRM
Geen adressen bij dit perceel
535 m2 - 110 m
Eigenaar opvragen
VDM00-O-421 (Veendam)
- Geen postcode aanwezig
5Y8XqbRzRd7F0I5WhGUpgrade naar KadastraleKaart Pro
Bekijk op Street View
Download DWG/DXF/Excel
fI6 HudHUpgrade naar KadastraleKaart Pro
gx0BayoI85y0Upgrade naar KadastraleKaart Pro
V8Vgp6tXZl5nEGauaC9fN4YUpgrade naar KadastraleKaart Pro
bNnS iH9GNA73sMMFX3kUpgrade naar KadastraleKaart Pro
a7XZW2YijWP7KzR5K4Upgrade naar KadastraleKaart Pro
i0n3UfyEUpgrade naar KadastraleKaart Pro
k XgMzCf 6dt3xk 9 7UmPYUpgrade naar KadastraleKaart Pro
LDuoSn MgHUpgrade naar KadastraleKaart Pro
jPUarl6aL9ByjZ2nmyaUpgrade naar KadastraleKaart Pro
FhpapA7ro6D 2rWUpgrade naar KadastraleKaart Pro
04/04/2005

Percelen
Gebruik de zoekbalk of klik op een perceel om informatie over het perceel te bekijken.