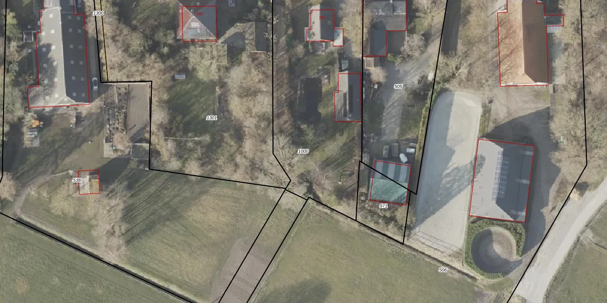
Perceel: VDM00-P-1000
KadastraleKaart.com kan meer dan je denktOntdek meer ›
Filter op bestemming 50+ datasets Eigendomsdata in één klik Percelen CRM
2.103 m2 - 208 m
Eigenaar opvragen
VDM00-P-1000 (Veendam)
- 9644 XG
zQq2z4YA1 a2h XetvPHUpgrade naar KadastraleKaart Pro
Bekijk op Street View
Download DWG/DXF/Excel
Qdx8H 3UJCMivUpgrade naar KadastraleKaart Pro
z ew5M AYmi x WUpgrade naar KadastraleKaart Pro
9D2lj9NCVFxkpZ NUpgrade naar KadastraleKaart Pro
1K2ET X6el9xyTgTzUpgrade naar KadastraleKaart Pro
ZOz9MiEZ 1i1 5t Fk4o3 lUpgrade naar KadastraleKaart Pro
ac83ioJqELjSEjdcUpgrade naar KadastraleKaart Pro
6IM1XzQEw20a Upgrade naar KadastraleKaart Pro
oHFeWIwzDc0vz4Q 55XVNUpgrade naar KadastraleKaart Pro
TeK ThgnSAV3mZyQ3 wlnoUpgrade naar KadastraleKaart Pro
f 7LICTabUpgrade naar KadastraleKaart Pro
14/01/2003

Percelen
Gebruik de zoekbalk of klik op een perceel om informatie over het perceel te bekijken.